Commercial Properties For Sale by Eddisons Commercial Limited, Sheffield, including sold STC
28 results
Paid partnerships can play a role in listing order
Aspect Court provides seven floors of open planned and partitioned office accommodation arranged over ground to six upper floors. The property benefits from a spacious reception foyer and the specification includes: VRV air conditioning system and ceiling mounted cassettes, suspended ceiling...
Aspect Court provides seven floors of open planned and partitioned office accommodation arranged over ground to six upper floors. The property benefits from a spacious reception foyer and the specification includes: VRV air conditioning system and ceiling mounted cassettes, suspended ceiling...
The property comprises a foundry premises with ancillary detached two storey offices on two sites bisected by Stevenson Way. The offices are of brick construction beneath a flat roof whilst the foundry is of steel portal construction beneath double pitched roofs incorporating acrylic roof lights...
The site comprises a number of terraced former residential properties historically used and occupied by Sheffield Hallam University for educational purposes. Most have basement, ground floor, first floor and second floor accommodation. In addition the site has a small car park. The site area inc...
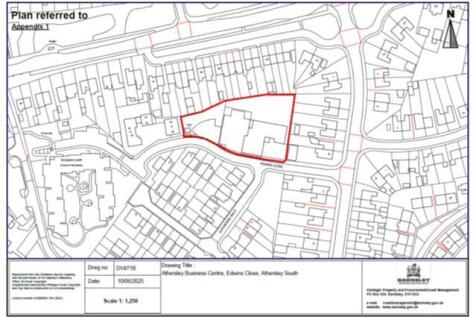
The property comprises of a single parcel of land suitable for residential development, subject to Planning Consent. The site is currently overgrown with access from three adopted highways. There is an electricity sub-station in the south east corner of the site.
The property comprises a detached 4 storey office block (including basement) with adjacent and interconnecting factory. The offices are of brick construction beneath a flat roof whilst the factory is of concrete frame construction beneath double pitched roofs incorporating acrylic roof lights. ...
The property comprises of a detached warehouse/workshop unit with adjacent two storey offices and separate workshop in a complex of units with roller shutter commercial vehicle access doors to the front of each. Eaves heights to each workshop are between 6.3 m and 8.0 m. The adjacent office pro...
The premises comprises a former farmhouse of two storey stone construction beneath a double pitched slate covered roof. The premises have been extended to the rear by both the conversion of part single and part two storey barns and the erection of a new build single storey detached office of sim...
The property comprises a steel portal framed light industrial unit and adjoining two storey offices with separate Nissen hut building within a secured storage compound. Externally the property has a block paved and tarmacadam yard currently with parking for over 40 vehicles.
The property is currently configured to provide a double bay warehouse. There is a large exclusive yard area to the front of the unit. Vehicular access is via three roller shutter doors into open span accommodation with 3.5 m eaves above a solid concrete floor.
The premises comprises a former Sawmill of cement rendered brick construction over ground and first floors. Access is via an entrance on Egerton Lane leading to all parts of the vacant accommodation. Further access/egress is available to the rear of the property via the gated and fenced yard fro...
The property comprises of a single parcel of land suitable for residential development, subject to Planning Consent. The site is currently used as car parking with access from Norton Lane past Norton House Country Club but also with separate access directly from Henley Avenue.
The property is an early 20th century three storey detached former residential property of traditional brick masonry construction with reconstituted stone fronted elevations with a pitched roof covering. The property is arranged as office accommodation across ground, first and second floors. Th...
The property comprises a former public house dated from the 1750's. The building is of a stone and brick construction with a multi-pitched and hipped slate roof. It has been partly converted to provide a ground floor coffee shop while the remaining upper floor accommodation and 2-4 Low Street a...
The property is an early 20th century three storey end terraced corner plot, of traditional brick masonry construction with facing brick elevations and surmounted by a slate tiled pitched roof covering. The property is arranged as office accommodation across ground, first and second floors. In...
The property comprises 2, two storey properties under pitched and slate roofs. There is open space to the centre of the property with seating and approximately 6 car parking spaces. To the front of the site, there are two residential semi-detached properties known as 25 Bradfield Road and 27 B...
The property comprises a semi detached two storey campus style office with a mix of full height brickwork and large glazed element with the property being surmounted by a pitched roof over. Internally, the property is arranged with ground floor reception having lift access and stairs to first ...
The premises comprise a mid terraced Class E building formally used as a car parts, sales and store with a substantial two storey extension to the rear. The building benefits from a prominent and wide frontage and is of solid brick construction with a pitched tile roof. The building also inclu...
The property comprises a stone built end of terrace residential/retail building with a coffee shop at ground floor known as 214 Crookes and a four bedroom flat at first and second floors known as 2 Toyne Street. The flat is accessed from Toyne Street via a staircase with living room leading to ...
The property comprises what was originally a farmhouse with ancillary barns and outbuildings and has subsequently been reconfigured to now provide a terrace of 4 tenanted commercial units adjacent to a self-contained separate house with outside store. Two of the 4 railway arches within the site ...
The property is currently configured to provide a reception and seating area with customer WC's on the ground floor. There is further seating and kitchen area to the lower ground floor plus further office/storage space to the basement with ground level access to the rear of the property.
The property comprises a pair of semi-detached tenanted retail units over two floors plus attic bedrooms. Internally, each of the ground floor retail areas are arranged to provide retail space with ancillary accommodation to the rear and the upper floors provide a self-contained two bedroom flat...
The property comprises a terrace of 3 two storey tenanted retail units beneath a double pitched slate covered roof to the front with flat roof extensions to the rear. Internally each of the ground floor areas are arranged to provide typical retail space with ancillary accommodation to the rear. ...


