
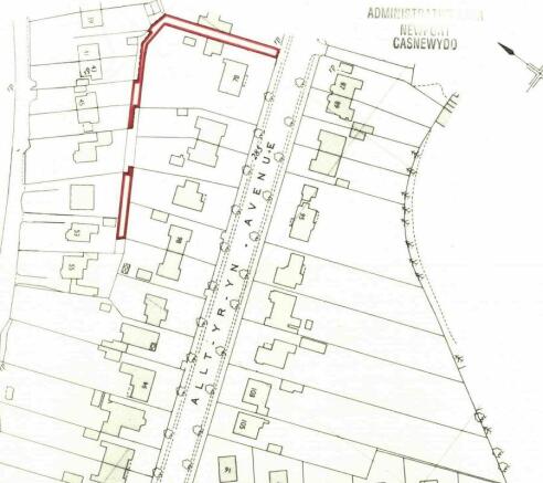
Access Lane North of 78, Allt-yr-Yn Avenue, Newport, Newport, NP20 5DN
- PROPERTY TYPE
Land
- SIZE
Ask agent
Key features
- LAND FOR SALE
Description
Guide Price: £2,900+
LAND FOR SALE
An area of land in a popular and sought after location of Newport. The land is the site of an access lane to the rear of Allt-yr-yn Avenue.
The site is available for inspection without appointment. Please contact us with any enquiries.
Tenancy Details
To be sold with vacant possession.
Tenure
Tenure is advised Freehold
Applicable Fees
Please note: A Buyers Premium will be applicable to all lots sold at auction, this is charged at 1.1% of the final sale price (subject to a minimum of £500).
Brochures
Legal DocumentsOnline BiddingAccess Lane North of 78, Allt-yr-Yn Avenue, Newport, Newport, NP20 5DN
NEAREST STATIONS
Distances are straight line measurements from the centre of the postcode- Newport (S. Wales) Station0.7 miles
- Pye Corner Station1.3 miles
- Rogerstone Station2.3 miles
Notes
Disclaimer - Property reference 207204. The information displayed about this property comprises a property advertisement. Rightmove.co.uk makes no warranty as to the accuracy or completeness of the advertisement or any linked or associated information, and Rightmove has no control over the content. This property advertisement does not constitute property particulars. The information is provided and maintained by Sage & Co Auctions, Cwmbran. Please contact the selling agent or developer directly to obtain any information which may be available under the terms of The Energy Performance of Buildings (Certificates and Inspections) (England and Wales) Regulations 2007 or the Home Report if in relation to a residential property in Scotland.
Auction Fees: The purchase of this property may include associated fees not listed here, as it is to be sold via auction. To find out more about the fees associated with this property please call Sage & Co Auctions, Cwmbran on 01633 603899.
*Guide Price: An indication of a seller's minimum expectation at auction and given as a Guide Price or a range of Guide Prices. This is not necessarily the figure a property will sell for and is subject to change prior to the auction.
Reserve Price: Each auction property will be subject to a Reserve Price below which the property cannot be sold at auction. Normally the Reserve Price will be set within the range of Guide Prices or no more than 10% above a single Guide Price.
Map data ©OpenStreetMap contributors.



