
Land South of 1 Parklands Place, Forestmill FK10 3QG
- PROPERTY TYPE
Land
- SIZE
10,890 sq ft
1,012 sq m
Key features
- Exciting development opportunity in Forestmill
- Planning Permission in Principle granted for maximum 2 dwellings
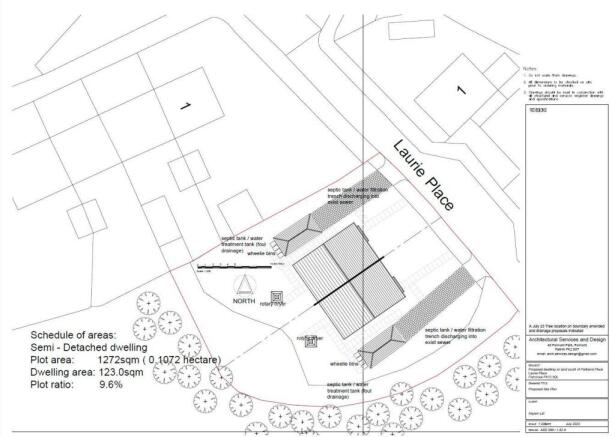
- Plot extending to 1272sqm
- Planning Application Reference 23/00155/PPP
- Early enquiry advised
Description
The site plan and location plan are included for the perusal of prospective buyers. According to the site plan, the plot extends to 1272sqm and the footprint of the dwelling may extend to 123sqm (if a 2-storey dwelling, 246sqm).
The following information is taken directly from the Report of Handling from Clackmannanshire Council:
‘The application site comprises approximately 0.1 hectares of vacant brownfield land, formerly used as an operations yard by the Forestry Authority at the west side of Laurie Place, Forestmill south of Parklands Place. The site lies in the countryside at the Forestmill village edge, adjacent to woodland.
The site has an existing vehicular access and access track. Ground coverage comprises unkept vegetation and rough concrete hard surface. The site slopes slightly upwards away from the public road at Laurie Place, levelling out towards the rear. There are existing bushes at the site frontage with Laurie Place. There is one tree at the site. This tree is not protected by a Tree Preservation Order and has little value in terms of amenity.
This application proposes developing the site for residential purposes. The application includes a plan indicating that the site could accommodate two semidetached dwellings. This plan is considered for indicative purposes only and would not constitute an approved layout plan.’
Viewings are strictly by appointment only via Harper & Stone.
What3Words Navigation: nanny.nearing.gain
Council Tax Band TBC
EER Band TBC
Sewage: Septic tank required
Forestmill is set within the rolling countryside of Clackmannanshire straddling the Black Devon River and a few hundred yards from the A977 road which links Kincardine with Kinross. Forestmill lies a few miles from Dollar (3.5m) and Clackmannan (5.5m), with Alloa (6m) providing more extensive shopping, leisure and sporting facilities. Hundreds of acres of forestry commission owned woodland walks, trails and paths including Gartmorn Dam Country Park sit right at the doorstep of the house. There are also a variety of activities available locally including equestrian centres and trails, golf at Kincardine, Muckhart, Alva and Gleneagles (15m), walking and mountain biking. Schooling for all ages is also to hand with primary schools at Blairingone, Muckhart and Dollar and secondary schooling at Dunfermline High, Lornshill, Alva or Dollar Academy.
For the commuter there is good access to the motorway network via the new Kincardine Bridge. The train system at Clackmannan or Polmont also connects to many areas of commerce within the central belt. For those needing to commute further afield both Glasgow and Edinburgh
International Airports can easily be reached in well under 1 hour.
IMPORTANT NOTE TO PURCHASERS: We endeavour to make our sales particulars accurate and reliable, however, they do not constitute or form part of an offer or any contract and none is to be relied upon as statements of representation or fact. Any services, systems and appliances listed in this specification have not been tested by us and no guarantee as to their operating ability or efficiency is given. All measurements have been taken as a guide to prospective buyers only and are not precise. If you require clarification or further information on any points, please contact us, especially if you are traveling some distance to view. Fixtures and fittings other than those mentioned are to be agreed with the seller.
Brochures
Land South of 1 Parklands Place, Forestmill FK10 3BrochureLand South of 1 Parklands Place, Forestmill FK10 3QG
NEAREST STATIONS
Distances are straight line measurements from the centre of the postcode- Alloa Station3.9 miles
Notes
Disclaimer - Property reference 32990782. The information displayed about this property comprises a property advertisement. Rightmove.co.uk makes no warranty as to the accuracy or completeness of the advertisement or any linked or associated information, and Rightmove has no control over the content. This property advertisement does not constitute property particulars. The information is provided and maintained by Harper & Stone Limited, Dollar. Please contact the selling agent or developer directly to obtain any information which may be available under the terms of The Energy Performance of Buildings (Certificates and Inspections) (England and Wales) Regulations 2007 or the Home Report if in relation to a residential property in Scotland.
Map data ©OpenStreetMap contributors.





