Upper Hoyland Road, Barnsley, South Yorkshire, S74
- SIZE
Ask agent
- SECTOR
Land for sale
Key features
- Attractive freehold Residential Development Opportunity extending to 1.56 acres (0.63 Ha)
- Located on the Northwestern edge of the town of Hoyland.
- Full Planning consent granted for residential development totalling up to 19 units (10% affordable)
- 'Oven Ready' site with pre-commencement conditions either discharged or in the process of being so.
- Full suite of technical information available.
Description
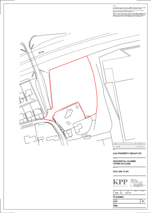
The site extends to 1.56 acres (0.63 Ha) and is positioned on the Northwestern edge of the town of Hoyland. The opportunity consists of a grassland (paddock) edged by trees and shrubs to the south and west and more wooded areas to the north and east. The development parcel rises up from north to south. Access is proposed via Upper Hoyland Road in the southwest corner of the site.
The site is surrounded by residential properties to its south, a bridleway beyond which lies further residential properties to the west, the A6195 Dearne Valley Parkway to the north and commercial/employment uses to the east.
Hoyland is a popular town situated approximately 5.3 km south of Barnsley, 21 km west of Doncaster and 15 km north of Sheffield. The town benefits from a wide range of local convenience, retail, leisure and educational facilities. Both Elsecar Park and Heritage Centre and Worsborough Country Park and Mill are located less than 3km southeast and northwest respectively. Providing excellent out and indoor amenity facilities.
Junction 36 of the M1 motorway is located 1.8km south west of the subject site providing access north and south. Elsecar train station provides a frequent train service to Leeds, Huddersfield and Sheffield.
TOWN PLANNING
The land benefits from Full Planning Consent for residential development of up to 19 dwellings and associated works. Planning reference 2024/0976, granted by Barnsley Metropolitan Borough Council on 12/6/25.
The site is located in Flood Zone 1, and is not within a conservation area.
As part of the Planning Permission the following Planning Gain items are required:
Affordable Housing - 10% of total dwellings to be affordable
Education - up to a capped amount of £112,000 (index linked)
Sustainable Travel Contribution - £750 / dwelling up to a capped amount of £14,250 (index linked)
All pre-commencement conditions have either been discharged or are in the process of being so.
FURTHER INFORMATION
The following information is available:
All planning and technical information supporting the Outline Consent 2021/1519
Decision Notice and Section 106 Agreement
Schedule of Planning Conditions
Title Information
Plans
Full pack of working drawings
Phase 2 Site Investigation
It is worth noting that it is the vendors intention to build the access road to adoptable standards, pay the appropriate bond which will be returned once completed, but not have the roads adopted due to the length of time it takes and cost associated with it. Furthermore, it is their intention to have the pumping station and attenuation remain in private ownership rather than having it adopted. In both cases it would be their intention to put maintenance contracts in place and have the management company, deal with it going forward.
TITLE
The land is held freehold under Title No. SYK 241274. Vacant possession will be provided upon legal completion.
VAT
The land has not been opted to tax for VAT.
TENDER PROCESS
The land is offered For Sale via Private Treaty, however, we reserve the right to change to an informal tender process at anytime. Offers are to be made in writing, and received at the Harrogate office of the sole selling agents. Emailed versions will be acceptable.
VIEWINGS
The land can be viewed from Upper Hoyland Road. If you require access onto the land please contact the selling agents to arrange an appointment.
Upper Hoyland Road, Barnsley, South Yorkshire, S74
NEAREST STATIONS
Distances are straight line measurements from the centre of the postcode- Elsecar Station1.4 miles
- Wombwell Station1.8 miles
- Chapeltown Station3.2 miles
Notes
Disclaimer - Property reference GTUpperHoylandRoad. The information displayed about this property comprises a property advertisement. Rightmove.co.uk makes no warranty as to the accuracy or completeness of the advertisement or any linked or associated information, and Rightmove has no control over the content. This property advertisement does not constitute property particulars. The information is provided and maintained by Titchmarsh & Bagley, Harrogate. Please contact the selling agent or developer directly to obtain any information which may be available under the terms of The Energy Performance of Buildings (Certificates and Inspections) (England and Wales) Regulations 2007 or the Home Report if in relation to a residential property in Scotland.
Map data ©OpenStreetMap contributors.





