Crickham Lane, Crickham, BS28
- PROPERTY TYPE
Plot
- SIZE
Ask agent
Key features
- Building plot with outline planning granted for a single storey dwelling with some matters reserved
- Peaceful location on a no-through lane
- Close proximity to Wedmore village
- Plannning reference number 50/21/00023
- Strong local community and close to the local pub
Description
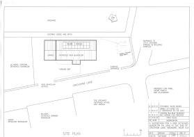
A rare opportunity to purchase a building plot with lapsed outline planning permission granted for a self-build, single dwelling with some matters reserved. It is accompanied by an Environment Agency Permit with a nutrient neutrality assessment and mitigation strategy. The plot is situated within a peaceful hamlet, just a short distance from the village of Wedmore.
PLANNING
The planning consent which was granted on the 26th May 2021 has now lapsed. The planning reference number is 50/21/00023, which was for outline planning permission, with some matters reserved, erection of a self-build, single storey dwelling. Notice should be taken of the following condition as stated on the planning permission:
‘The dwelling hereby permitted shall be planned, built and first occupied in accordance with the definition of self-build and custom housebuilding as defined in the Self-build and Custom Housebuilding Act 2015 (as amended) and as the sole or main residence of a person on the Council’s Self Build Register with an appropriate local connection to the parish of Wedmore.’
SERVICES
We advise purchasers to make their own enquiries and satisfy themselves as to the availability and capacity of any services.
VIEWING ARRANGEMENTS
The site can be viewed from the Crickham Lane, but for access please make an appointment through the selling agent, for health and safety reasons. Please be mindful of residents when parking.
AGENTS NOTE
The property is registered freehold with the title being qualified because of very old leases. An indemnity insurance for the qualified title can be offered to any prospective purchaser.
development-property
LOCATION
Crickham is a small hamlet situated just one mile from the village of Wedmore, and holds a real sense of community holding many local events with the neighbouring hamlets of Cocklake and Clewer, including the annual 3 C's Harvest home. There is also a public house nearby called the Trotters. The hamlet also has a beautiful Baptist Chapel with stunning views across the Moor and to the Mendip Hills and Glastonbury Tor.
The historic village of Wedmore has a wealth of local amenities, including a village shop, butchers, fish mongers and three pubs. Transport links to the A38 with direct links to Bristol International Airport (c 14 miles) and the M5 junction 22 (c 7 miles). The Cathedral City of Wells is c 12 miles distant whilst the larger centres of Bristol and Bath are c 23 and 30 miles respectively. The property also falls within the popular Hugh Sexey/Kings of Wessex Academy catchment area.
DIRECTIONS
From the Wedmore office proceed east along the Cheddar road, after a mile, take the road on the left called Rug Hill, continue up the hill where the road bends round to the left. At the Crickham Chapel take the lane straight ahead, Crickham Lane, and the property can be found shortly after on the left-hand side as marked by our 'For Sale' board.
Brochures
Brochure 1Crickham Lane, Crickham, BS28
NEAREST STATIONS
Distances are straight line measurements from the centre of the postcode- Highbridge & Burnham Station7.2 miles
Notes
Disclaimer - Property reference 21457565. The information displayed about this property comprises a property advertisement. Rightmove.co.uk makes no warranty as to the accuracy or completeness of the advertisement or any linked or associated information, and Rightmove has no control over the content. This property advertisement does not constitute property particulars. The information is provided and maintained by Cooper & Tanner, Wedmore. Please contact the selling agent or developer directly to obtain any information which may be available under the terms of The Energy Performance of Buildings (Certificates and Inspections) (England and Wales) Regulations 2007 or the Home Report if in relation to a residential property in Scotland.
Map data ©OpenStreetMap contributors.






