
Land for sale
Land Harrow Road, Scarfskerry, Thurso, KW14 8XN
- PROPERTY TYPE
Land
- SIZE
Ask agent
Description
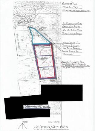
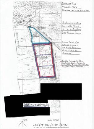
The Plots currently have Planning Permission in Principle for the erection of a single house per Plot and would allow an individual to design and build a home for their own needs and requirements. Full Planning Permission would be required. Prospective purchasers should make their own enquiries with the local Planning Department.
Details of the approved Planning permissions, references 23/04353/PIP and 23/04354/PIP, can be found on on Highland Council's Planning website
Plot 3 Area - 0.74 hectares / approx 1.828 acres or thereby
Plot 4 Area - 0.67 hectares / approx 1.655 acres or thereby
Services are understood to be located within the vicinity of the plots. Prospective purchasers should make their own enquiries with the appropriate Service Providers.
This is a super opportunity and rarely available in this beautiful part of Scotland.
Brochures
Brochure 1Land Harrow Road, Scarfskerry, Thurso, KW14 8XN
NEAREST STATIONS
Distances are straight line measurements from the centre of the postcode- Thurso Station10.9 miles
Notes
Disclaimer - Property reference MFL7156654. The information displayed about this property comprises a property advertisement. Rightmove.co.uk makes no warranty as to the accuracy or completeness of the advertisement or any linked or associated information, and Rightmove has no control over the content. This property advertisement does not constitute property particulars. The information is provided and maintained by McEwan Fraser Legal, Inverness. Please contact the selling agent or developer directly to obtain any information which may be available under the terms of The Energy Performance of Buildings (Certificates and Inspections) (England and Wales) Regulations 2007 or the Home Report if in relation to a residential property in Scotland.
Map data ©OpenStreetMap contributors.





