High street retail property to lease
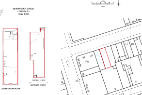
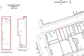
83 Mortimer Street, Fitzrovia, London, W1W 7SL
- SIZE AVAILABLE
1,560 sq ft
145 sq m
- SECTOR
High street retail property to lease
Lease details
- Lease available date:
- Now
- Lease type:
- Long term
Key features
- Recently refurbished
- Demised WCs on ground and lower ground floor
- Kitchenette
- Comfort Cooling (Not Tested)
- Generous ceiling height-Ground Floor: 3.4m, Lower Ground Floor: 2.5m
- Track lighting
- Electric blind (frontage)
- Tiled flooring
- Good frontage
- Self-contained
Description
The recently renovated self- contained space is arranged over ground and lower ground floors.
The space benefits from good ceiling height and fantastic natural light on the ground floor, creating a bright and airy atmosphere that is ideal for a range of businesses.
An electric blind enhances the frontage, and the tiled flooring adds a modern touch to the premises. The unit further features an inbuild kitchenette to private cupboard on the Lower Ground Floor and two WC's over both floors. There is Comfort Cooling throughout (not tested) and Fibre Internet Connectivity.
Location
Located in the heart of Fitzrovia, 83 Mortimer Street is surrounded by a wide array of café’s, eateries and public houses, such as Riding House Café, Pahli Hill Bandra Bhai and Meraki to name a few in the vicinity.
Fitzrovia is considered one of London’s most fashionable and popular locations for the media, entertainment, music and more.
The property benefits from excellent transport links including Oxford Circus (Victoria, Central & Bakerloo lines), Tottenham Court Road (Elizabeth and northern lines) and Goodge Street (northern line) all within a short walk.
Brochures
83 Mortimer Street, Fitzrovia, London, W1W 7SL
NEAREST STATIONS
Distances are straight line measurements from the centre of the postcode- Oxford Circus Station0.2 miles
- Goodge Street Station0.3 miles
- Great Portland Street Station0.4 miles
Notes
Disclaimer - Property reference 301359-2. The information displayed about this property comprises a property advertisement. Rightmove.co.uk makes no warranty as to the accuracy or completeness of the advertisement or any linked or associated information, and Rightmove has no control over the content. This property advertisement does not constitute property particulars. The information is provided and maintained by Robert Irving Burns, Robert Irving Burns. Please contact the selling agent or developer directly to obtain any information which may be available under the terms of The Energy Performance of Buildings (Certificates and Inspections) (England and Wales) Regulations 2007 or the Home Report if in relation to a residential property in Scotland.
Map data ©OpenStreetMap contributors.





