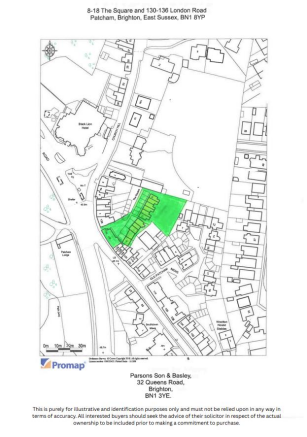
The Square, Patcham, Brighton

- SIZE
Ask agent
- TENUREDescribes how you own a property. There are different types of tenure - freehold, leasehold, and commonhold.Read more about tenure in our glossary page.
Freehold
Key features
- SOLD PRIOR TO AUCTION
- 11 Period Cottages All Let on AST'S and Single Commercial Premises
- Surrounding Gardens
- Total Current Passing Rent Per Annum is 177,720
- Significant And Meaningful Break Up Discount Included
- Further Capital Uplift Available
- Exceptional and Completely Unique Investment Opportunity
- Soughtafter Patcham Village Location
- Legal Pack And Full Marketing Brochure Are Available Upon Request
- Viewing Is Very Strictly By Appointment Only
Description
Comprising of a unique terrace of 11, two storey Grade II Listed cottages full of charm and character as well as130/136 Old London Road, a most elegant, charming, characterful triple width building over two floors trading as The Elizabethan Tandoori Restaurant having been established many, many years ago and let under the terms of a FRI lease until July 26th 2036. Next review 27/6/2027.
Each cottage has 2 bedrooms except for number 10 which has one bedroom and are rented out on Assured Shorthold Tenancies
The Square in Patcham was built during circa 1800 and has been in the same family ownership since 1934, some 91 years ago and offers a quite wonderful and extremely rare opportunity to purchase this mixed residential and commercial portfolio of properties with a very strong and significant breakup value included. Further potential capital value and indeed rental value could be added by undertaking some updating, whilst to some of the cottages, the large communal gardens may be able to be divided up and fenced off thereby affording private and very good sized rear gardens to numbers 18 to 13 inclusive. All of the cottages enjoy their own front gardens.
Location wise, access to The Square is obtained directly from Old London Road, a highly sought after and immensely popular position of Patcham Village hosted by excellent local schools, shops, pubs, restaurants, and coffee shops to name but a few. There is a regular bus service providing access into the city centre of Brighton with stops along the way making visits to Preston Park with its tennis courts, wide open green spaces, and Rotunda Coffee Bar very easy indeed. The same can be said for Preston Park Mainline Railway Station offering direct commuter links to London. Being situated on Old London Road, access to the Brighton to London A23 is literally less than a minute away as is the A27 linking you with both East and West Sussex and indeed other parts of the country.
Brochures
The Square, Patcham, Brighton- COUNCIL TAXA payment made to your local authority in order to pay for local services like schools, libraries, and refuse collection. The amount you pay depends on the value of the property.Read more about council Tax in our glossary page.
- Ask agent
- PARKINGDetails of how and where vehicles can be parked, and any associated costs.Read more about parking in our glossary page.
- Ask agent
- GARDENA property has access to an outdoor space, which could be private or shared.
- Ask agent
- ACCESSIBILITYHow a property has been adapted to meet the needs of vulnerable or disabled individuals.Read more about accessibility in our glossary page.
- Ask agent
Energy performance certificate - ask agent
The Square, Patcham, Brighton
Add an important place to see how long it'd take to get there from our property listings.
__mins driving to your place
Get an instant, personalised result:
- Show sellers you’re serious
- Secure viewings faster with agents
- No impact on your credit score
Affordability
Notes
Staying secure when looking for property
Ensure you're up to date with our latest advice on how to avoid fraud or scams when looking for property online.
Visit our security centre to find out moreDisclaimer - Property reference 34040936. The information displayed about this property comprises a property advertisement. Rightmove.co.uk makes no warranty as to the accuracy or completeness of the advertisement or any linked or associated information, and Rightmove has no control over the content. This property advertisement does not constitute property particulars. The information is provided and maintained by Parsons Son & Basley, Brighton. Please contact the selling agent or developer directly to obtain any information which may be available under the terms of The Energy Performance of Buildings (Certificates and Inspections) (England and Wales) Regulations 2007 or the Home Report if in relation to a residential property in Scotland.
Auction Fees: The purchase of this property may include associated fees not listed here, as it is to be sold via auction. To find out more about the fees associated with this property please call Parsons Son & Basley, Brighton on 01273 109882.
*Guide Price: An indication of a seller's minimum expectation at auction and given as a Guide Price or a range of Guide Prices. This is not necessarily the figure a property will sell for and is subject to change prior to the auction.
Reserve Price: Each auction property will be subject to a Reserve Price below which the property cannot be sold at auction. Normally the Reserve Price will be set within the range of Guide Prices or no more than 10% above a single Guide Price.
*This is the average speed from the provider with the fastest broadband package available at this postcode. The average speed displayed is based on the download speeds of at least 50% of customers at peak time (8pm to 10pm). Fibre/cable services at the postcode are subject to availability and may differ between properties within a postcode. Speeds can be affected by a range of technical and environmental factors. The speed at the property may be lower than that listed above. You can check the estimated speed and confirm availability to a property prior to purchasing on the broadband provider's website. Providers may increase charges. The information is provided and maintained by Decision Technologies Limited. **This is indicative only and based on a 2-person household with multiple devices and simultaneous usage. Broadband performance is affected by multiple factors including number of occupants and devices, simultaneous usage, router range etc. For more information speak to your broadband provider.
Map data ©OpenStreetMap contributors.









