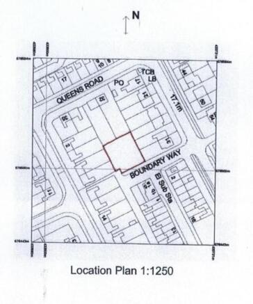
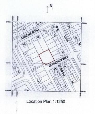
Boundary Way, Seaton Sluice
- PROPERTY TYPE
Land
- SIZE
Ask agent
Key features
- Previous Planning Reference 14/00679/Ful
- Approx. 24.4m X 26.2m
- Planning Permission Passed in 2014 - Expired in 2017
- Covenants Have Been Removed
- Close To Village Centre
- Development Oppportunity
- Local Transport Links To Whitley Bay
- Popular Residential Area
- Close To The Sea Front
- Within Easy Reach To Local Amenites
Description
The digital drawings are of the previous planning application which was passed in 2014 but has expired in 2017. Previously planning permission was granted
to construct 5 impressive 3 storey town houses. The reference for this application is 14/00679/Ful. All covenants have been removed from the land.
The delightful and popular coastal village of Seaton Sluice has local shops, pubs and bus links into Whitley Bay and Blyth. The site lies within easy walking distance of the harbour and beach.
Brochures
Boundary Way, Seaton SluiceBoundary Way, Seaton Sluice
NEAREST STATIONS
Distances are straight line measurements from the centre of the postcode- Newsham Station2.5 miles
- West Monkseaton Metro Station2.7 miles
- Monkseaton Metro Station2.8 miles
Notes
Disclaimer - Property reference 34111185. The information displayed about this property comprises a property advertisement. Rightmove.co.uk makes no warranty as to the accuracy or completeness of the advertisement or any linked or associated information, and Rightmove has no control over the content. This property advertisement does not constitute property particulars. The information is provided and maintained by Bell Estate Agents, Gateshead. Please contact the selling agent or developer directly to obtain any information which may be available under the terms of The Energy Performance of Buildings (Certificates and Inspections) (England and Wales) Regulations 2007 or the Home Report if in relation to a residential property in Scotland.
Map data ©OpenStreetMap contributors.




