
Land for sale
London Road, West Kingsdown, Sevenoaks
- PROPERTY TYPE
Land
- SIZE
Ask agent
Key features
- Development Opportunity Plot one only
- Plot has Connections for Drains, Gas, Water, Electricity and Broadband
- Village Location Close to Amenities
- Tenure Freehold
- Outline Planning permission granted
- Planning Consent granted subject to specific conditions
- Great Location
- Exciting opportunity for custom and self-build project
- Only Plot one is for sale
Description
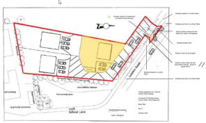
PLOT1 : A SELF BUILD DEVELOPMENT OPPORTUNITY WITH OUTLINE PLANNING CONSENT AND SUBJECT TO CONDITIONS - £300,000 REFERENCE 25/00200/OUT. PLEASE NOTE ONLY PLOT ONE IS FOR SALE.
Description - PLOT ONE WITH OUTLINE PLANNING CONSENT FOR A DETACHED PROPERTY Outline planning application (some matters reserved* see planning permission ) for 3 serviced plots for Self and Custom Housebuilding.
A rare opportunity to acquire this self build plot in West Kingsdown
Location - Ideally situated convenient to the village which provides excellent local amenities including a preschool, primary school, medical centre, hairdressers, beauticians, convenience store, village public house, village hall and library. Also within easy walking distance are a Co-op supermarket, chemist/pharmacy, gym, Chinese takeaway, fish and chip shop, delicatessen, card and flower shop, dry cleaners, newsagent/post office and more. For commuters, a bus stop is located at the border of the site with services to Swanley and onward fast train connections to Bromley, London Victoria and Maidstone.
Planning Notice - Sevenoaks District Council, as the local planning authority has granted planning permission for the above development, SUBJECT TO THE CONDITIONS set out below: 1) The development to which this permission relates must be begun before:- The expiration of three years from the date of this permission; or- The expiration of two years from the final approval of the reserved matters whichever is the later. In Pursuance of section 92(2) of the Town and Country Planning Act 1990. 2) Details relating to the scale, appearance and layout of the proposed building(s) and the landscaping of the site (hereinafter called the "reserved matters") shall be submitted to and approved in writing by the District Planning Authority before any development is commenced In Pursuance of section 92(2) of the Town and Country Planning Act 1990. For full full conditions please ask the agent for a copy of the outline planning granted.
Agents Note - The land is sold on an unconditional basis, purchasers considering type of land usage alternative uses are deemed to rely upon their own enquiries and that planning detailed permission maybe required for any changes. Photographs represent the whole field and not selected plot
Every care has been taken with the preparation of these Particulars but complete accuracy cannot be guaranteed. If there is any point, which is of particular importance to you,
please obtain professional confirmation. Photographs and drawings of land are for illustration purposes only and not to scale.
The access is via a shared vehicular access and will be shared by all landowners.
Brochures
London Road, West Kingsdown, SevenoaksLondon Road, West Kingsdown, Sevenoaks
NEAREST STATIONS
Distances are straight line measurements from the centre of the postcode- Eynsford Station3.2 miles
- Kemsing Station3.1 miles
- Shoreham Station3.4 miles
Notes
Disclaimer - Property reference 34244429. The information displayed about this property comprises a property advertisement. Rightmove.co.uk makes no warranty as to the accuracy or completeness of the advertisement or any linked or associated information, and Rightmove has no control over the content. This property advertisement does not constitute property particulars. The information is provided and maintained by Ibbett Mosely, Sevenoaks. Please contact the selling agent or developer directly to obtain any information which may be available under the terms of The Energy Performance of Buildings (Certificates and Inspections) (England and Wales) Regulations 2007 or the Home Report if in relation to a residential property in Scotland.
Map data ©OpenStreetMap contributors.









