Land for sale
Station road, Sidcup
- PROPERTY TYPE
Land
- SIZE
Ask agent
Description
BIDDING OPENS: 13:00 on Monday 24th November 2025
AUCTION ENDS: 13:00 on Tuesday 25th November 2025
Visit auctionhouse.co.uk/leicestershire
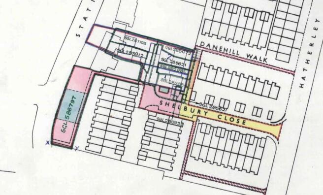
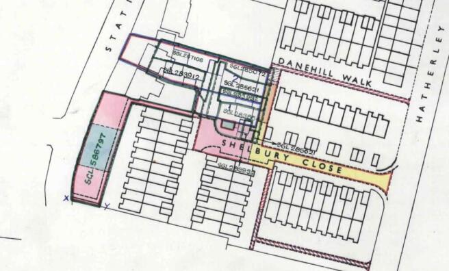
The site of Shelby Close, Danehill Walk, and land to the South East side of, Station Road,
Sidcup DA14 4BE
Parcels of amenity land for sale by auction. Title number SGL266391.
Please see legal pack for further details.
Brochures
Station road, SidcupBrochureStation road, Sidcup
NEAREST STATIONS
Distances are straight line measurements from the centre of the postcode- Sidcup Station0.4 miles
- Albany Park Station1.2 miles
- New Eltham Station1.4 miles
Notes
Disclaimer - Property reference 34261785. The information displayed about this property comprises a property advertisement. Rightmove.co.uk makes no warranty as to the accuracy or completeness of the advertisement or any linked or associated information, and Rightmove has no control over the content. This property advertisement does not constitute property particulars. The information is provided and maintained by Auction House Readings, Leicester Auctions. Please contact the selling agent or developer directly to obtain any information which may be available under the terms of The Energy Performance of Buildings (Certificates and Inspections) (England and Wales) Regulations 2007 or the Home Report if in relation to a residential property in Scotland.
Auction Fees: The purchase of this property may include associated fees not listed here, as it is to be sold via auction. To find out more about the fees associated with this property please call Auction House Readings, Leicester Auctions on 0116 366 5753.
*Guide Price: An indication of a seller's minimum expectation at auction and given as a Guide Price or a range of Guide Prices. This is not necessarily the figure a property will sell for and is subject to change prior to the auction.
Reserve Price: Each auction property will be subject to a Reserve Price below which the property cannot be sold at auction. Normally the Reserve Price will be set within the range of Guide Prices or no more than 10% above a single Guide Price.
Map data ©OpenStreetMap contributors.



