Land for sale
Cynwyl Elfed, Carmarthen, Carmarthenshire.SA33 6TP
- PROPERTY TYPE
Land
- SIZE
Ask agent
Key features
- 9.9 ACRES
- MIX PASTURE & WOODLAND
- STREAM BOUNDARY
- EASY ACCESS
- 15 MINUTE DRIVE TO CARMARTHEN
Description
CYNWYL ELFED, CARMARTHEN. SA33 6TP.
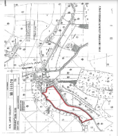
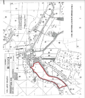
A 9.9 acre block of Pasture and Amenity Land, set in a valley bottom location on the outskirts of the rural village of Cynwyl Elfed, with district roadside frontage and gateway, including some 1½ acres of mature woodland set along part of the Northern boundary, where a stream runs along it, and suited for either agricultural/equestrian/conservation/amenity purposes.
Situation: Grid Ref: SN 371 - 269
The property lies alongside a C class district road, heading off from the A484 Cynwyl Elfed - Carmarthen main road, towards the directions of Bwlchnewydd/Talog/Blaenycoed. The village centre of Cynwyl Elfed is some ¼ mile distant and has village stores, places of worship, primary school and community centre. The County and Market Town of Carmarthen is some 7½ miles distant and provides for a wider array of facilities including General Hospital, Train Station, University and road link to the M4 via the A48 Dual Carriageway.
VIEWING: At any convenient time with a copy of these particulars. NO VEHICLES TO BE TAKEN ONTO THE LAND. PLEASE RESPECT ANY LIVESTOCK GRAZING AND ENSURE THAT GATES ARE FASTENED.
TENURE: Advised Freehold
SERVICES: Prospective purchasers to make their own enquiries as regards to the location of local mains electricity and water supplies and subsequent connection (subject to necessary consents) if so desired.
DIRECTIONS: On the Carmarthen end of Cynwyl Elfed on the A484, take the first right hand junction on leaving the village signposted Bwlchnewydd /Talog/Golf Club. Turn here and carry on for a few hundred yards and the gateway to the land will be on the right hand side with our 'For Sale' board erected.
DESCRIPTION
The block is divided into two enclosures, both fronting onto the district road. The first field is predominantly gently sloping and down to pasture in good heart and the second field is more sloping, as it climbs up the valley basin but is generally accessible to tractors etc. and suited more for grazing. A triangular shaped area of mature woodland lies along part of the Northern boundary in that parcel. The 'Nant Ring' stream flows along the whole Northern aspect of the block's boundary.
The block would suit a novice buyer wishing to purchase land, and is suitable for various purposes, as initially noted.
IACS: The land is registered. Prospective purchasers to satisfy themselves for future eligibility of any new agri-environmental/SFS Schemes that may be introduced by the Welsh Government in the near future. Relevant Basic Payment Scheme Entitlements MAY be available to purchase (by Separate Negotiation).
Cynwyl Elfed, Carmarthen, Carmarthenshire.SA33 6TP
NEAREST STATIONS
Distances are straight line measurements from the centre of the postcode- Carmarthen Station5.1 miles
Notes
Disclaimer - Property reference N25108. The information displayed about this property comprises a property advertisement. Rightmove.co.uk makes no warranty as to the accuracy or completeness of the advertisement or any linked or associated information, and Rightmove has no control over the content. This property advertisement does not constitute property particulars. The information is provided and maintained by Dai Lewis, Newcastle Emlyn. Please contact the selling agent or developer directly to obtain any information which may be available under the terms of The Energy Performance of Buildings (Certificates and Inspections) (England and Wales) Regulations 2007 or the Home Report if in relation to a residential property in Scotland.
Map data ©OpenStreetMap contributors.





