
Land for sale
Mill Road, Newbourne
- PROPERTY TYPE
Land
- SIZE
Ask agent
Key features
- TWO ACRES (STS)
- RARELY AVAILABLE RURAL LOCATION
- EXCITING SELF BUILD OPPORTUNITY
- DESIGN YOUR OWN HOME
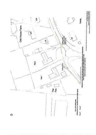
- PLANNING PERMISSION GRANTED FOR TWO DWELLINGS
- VIEWING AVAILABLE BY APPOINTMENT WITH THE VENDORS SOLE AGENT
- RESIDENTIAL COMMERCIAL OR AGRICULTURAL POTENTIAL
Description
LOCATION Newbourne village, which is in an area of Outstanding Natural Beauty has a woodland nature reserve better known as 'Newbourne Springs' and is just two miles from the River Deben. Newbourne has become a sought after residential, commercial and agricultural hotspot and is famous for 'The Fox' public house. Further recreational and shopping facilities are available at nearby Martlesham, Woodbridge and Felixstowe.
The County Town of Ipswich is within easy reach and provides an extensive range of shopping, recreational and educational facilities as well as railway mainline services to London Liverpool Street.
IPSWICH - 12 MILES
FELIXSTOWE - 8 MILES
WOODBRIDGE - 7.5 MILES
MARTLESHAM HEATH - 4.5 MILES
LONDON LIVERPOOL STREET - 89 MILES
DIRECTIONS From Woodbridge, head towards Ipswich on the A12 and stay on the A12 until you reach the roundabout signed Katies Garden, Newbourne and Waldringfield. Continue on this road until you see a right hand turn, again signed Katies Garden and Newbourne. Turn right into this road and continue into Newbourne passing Katies Garden and the Church on your left. At the T- junction, you will see a sign for The Street. Turn right onto Mill Road in the opposite direction of the 'The Fox' public house and continue along the road for half a mile until you reach 29b Mill Road which has two entrances on the bend where Mill Road adjoins Jackson Road.
PLANNING PERMISSION DC/23/3790/OUT
Outline Application (With some Matters Reserved) - Erection of two detached dwellings (resubmission)
Reference DC/23/3790/OUT
Application Received Mon 02 Oct 2023
Application Validated Mon 02 Oct 2023
Address Land Adjacent 29 Mill Road Newbourne Woodbridge Suffolk IP12 4NR
Proposal Outline Application (With some Matters Reserved) - Erection of two detached dwellings (resubmission)
Status Permitted
Decision Application Permitted
Decision Issued Date Tue 23 Jan 2024
Appeal Status Not Available
Appeal Decision Not Available
AGENTS NOTE Prospective purchasers are advised to satisfy themselves with any rights of access, covenants, planning conditions and restrictions via their solicitor prior to unconditional exchange of contracts.
Mill Road, Newbourne
NEAREST STATIONS
Distances are straight line measurements from the centre of the postcode- Woodbridge Station3.8 miles
- Trimley Station4.1 miles
- Melton Station4.8 miles
Notes
Disclaimer - Property reference 100958007291. The information displayed about this property comprises a property advertisement. Rightmove.co.uk makes no warranty as to the accuracy or completeness of the advertisement or any linked or associated information, and Rightmove has no control over the content. This property advertisement does not constitute property particulars. The information is provided and maintained by Diamond Mills & Co, Felixstowe. Please contact the selling agent or developer directly to obtain any information which may be available under the terms of The Energy Performance of Buildings (Certificates and Inspections) (England and Wales) Regulations 2007 or the Home Report if in relation to a residential property in Scotland.
Map data ©OpenStreetMap contributors.











