, 2 x Plots in Cookbury, Devon, EX227AW
- PROPERTY TYPE
Land
- SIZE
Ask agent
Key features
- EXCELLENT opportunity to purchase 2x plots in peaceful countryside location in Cookbury, Devon.
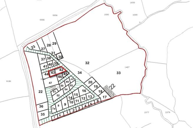
- Peaceful countryside setting with panoramic countryside views. HUGE potential, subject to consents. Plot 42 and 43.
- This land is offered without planning permission and the auctioneers are unaware of any previous applications. All queries regarding planning permission should be directed to the local authority.
- Properties around EX22 7AW had an overall average price of £720,000 over the last year. HIGH DEMAND LOCATION. Potential for multiple uses (subject to consents).
- EXCELLENT countryside location close to the town of Holsworthy where a wide range of amenities can be found including Waitrose and Co-op supermarket, 18 hole Golf Course and indoor swimming pool.
Description
** SALE BY AUCTION - 23 April 2026 - Timed Online Auction **
PRIME INVESTMENT OPPORTUNITY. Excellent sized plot located in EXTREMELY AFFLUENT and sought after location. EXCELLENT countryside location close to the town of Holsworthy where a wide range of amenities can be found including Waitrose and Co-op supermarket, 18 hole Golf Course and indoor swimming pool. Properties around EX22 7AW had an overall average price of £720,000 over the last year. HIGH DEMAND LOCATION. Peaceful countryside setting with panoramic countryside views. HUGE potential, subject to consents. This land is offered without planning permission and the auctioneers are unaware of any previous applications. All queries regarding planning permission should be directed to the local authority.
Auction Details
23 April 2026, 10am-3pm
Timed Online Auction
How to Bid Now
Submit an enquiry now or visit our website for full details on how to BID ON THIS PROPERTY.
Future Property Auctions - Scotland's Largest Land and Property Auction House. Over 400 lots auctioned every 2 weeks including flats, houses, land & commercial.
Get a Fast Sale and a Fair Price with Future Property Auctions. Contact Us now for a FREE Auction Valuation.
, 2 x Plots in Cookbury, Devon, EX227AW
NEAREST STATIONS
Distances are straight line measurements from the centre of the postcode- Okehampton Station13.3 miles
Notes
Disclaimer - Property reference 14482606. The information displayed about this property comprises a property advertisement. Rightmove.co.uk makes no warranty as to the accuracy or completeness of the advertisement or any linked or associated information, and Rightmove has no control over the content. This property advertisement does not constitute property particulars. The information is provided and maintained by Future Property Auctions, Glasgow. Please contact the selling agent or developer directly to obtain any information which may be available under the terms of The Energy Performance of Buildings (Certificates and Inspections) (England and Wales) Regulations 2007 or the Home Report if in relation to a residential property in Scotland.
Auction Fees: The purchase of this property may include associated fees not listed here, as it is to be sold via auction. To find out more about the fees associated with this property please call Future Property Auctions, Glasgow on 0141 632 6599.
*Guide Price: An indication of a seller's minimum expectation at auction and given as a Guide Price or a range of Guide Prices. This is not necessarily the figure a property will sell for and is subject to change prior to the auction.
Reserve Price: Each auction property will be subject to a Reserve Price below which the property cannot be sold at auction. Normally the Reserve Price will be set within the range of Guide Prices or no more than 10% above a single Guide Price.
Map data ©OpenStreetMap contributors.






