Land Adjacent To, High Street, Sutton
- PROPERTY TYPE
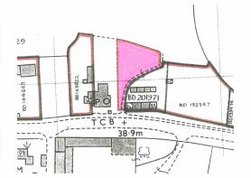
Land
- SIZE
6,534 sq ft
607 sq m
Description
Set opposite and between attractive period properties, with a wide entrance from the highway, this level vegetable garden has a public footpath that extends along the eastern boundary, together with fenced side boundaries and a hedge along the rear boundary with fields beyond.
What3Words:
///covertly.doted.drove
Tenure:
Freehold
Viewings:
You are welcome to view in daylight hours, at your convenience.
** The auction is being held at the Delta Marriott Hotel, Timbold Drive, Milton Keynes MK7 6HL on Wednesday 22nd April 2026 and will start at 12:00; it is a public auction so you can just turn up on the day you do not need to pre-register.
You can also register for telephone/proxy/internet bidding online from the 13th April 2026 by following the link below and clicking on the yellow box Register to Bid: **
EPC Rating:
N/A
VAT:
VAT is not applicable
Seller's Solicitor:
Mills & Reeve Solicitors
Ref: Imogen Pearce
1 St. James Court, Norwich, Norfolk, NR3 1RU
imogen.
Local Authority:
Central Bedfordshire Council -
Services:
Interested parties are requested to make their own enquiries to the relevant authorities as to the availability of services.
Buyers Premium:
There is no Buyer's Premium payable on this lot.
Disbursements:
Please see the legal pack for any disbursements listed that may become payable by the purchaser on completion.
Administration Charge:
Purchasers will be required to pay an administration fee of £1,500 incl. VAT
Brochures
ParticularsLand Adjacent To, High Street, Sutton
NEAREST STATIONS
Distances are straight line measurements from the centre of the postcode- Biggleswade Station2.8 miles
- Sandy Station3.1 miles
Notes
Disclaimer - Property reference BKM260093. The information displayed about this property comprises a property advertisement. Rightmove.co.uk makes no warranty as to the accuracy or completeness of the advertisement or any linked or associated information, and Rightmove has no control over the content. This property advertisement does not constitute property particulars. The information is provided and maintained by Robinson & Hall Auctions, Bedford & Buckingham. Please contact the selling agent or developer directly to obtain any information which may be available under the terms of The Energy Performance of Buildings (Certificates and Inspections) (England and Wales) Regulations 2007 or the Home Report if in relation to a residential property in Scotland.
Auction Fees: The purchase of this property may include associated fees not listed here, as it is to be sold via auction. To find out more about the fees associated with this property please call Robinson & Hall Auctions, Bedford & Buckingham on 01239 803034.
*Guide Price: An indication of a seller's minimum expectation at auction and given as a Guide Price or a range of Guide Prices. This is not necessarily the figure a property will sell for and is subject to change prior to the auction.
Reserve Price: Each auction property will be subject to a Reserve Price below which the property cannot be sold at auction. Normally the Reserve Price will be set within the range of Guide Prices or no more than 10% above a single Guide Price.
Map data ©OpenStreetMap contributors.





