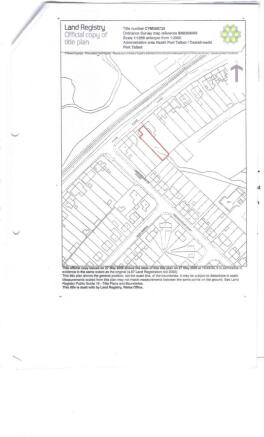
Parcel of land, 32 Golwg Y Bryn, Seven Sisters, Neath, West Glamorgan, SA10 9BY
- PROPERTY TYPE
Land
- SIZE
Ask agent
Key features
- Strip of land
- Development potential
- Residential street
- Open outlook to front
Description
ONLINE AUCTION from 14th APRIL - 16th APRIL 2026
A rectangular shaped plot of land positioned in between two houses and with an open outlook to the front. Given it's residential location the land could offer development potential subject to the necessary planning consents. The site extends to 0.16 acres.
Seven Sister is a busy Village lying on the A4109 approx 12 miles north of Neath and the A465 and 4 miles south of the A4109.
Tenure:
Advised Freehold - to be verified by solicitor
Tenancies:
To be sold with vacant possession
INVESTORS: If you are looking for assistance in tenant find and/or management packages, information on rental income/interest potential we have a Lettings Department that can help you. Please call us or email for invaluable advice.
Brochures
Legal DocumentsOnline BiddingParcel of land, 32 Golwg Y Bryn, Seven Sisters, Neath, West Glamorgan, SA10 9BY
NEAREST STATIONS
Distances are straight line measurements from the centre of the postcode- Neath Station9.2 miles
Notes
Disclaimer - Property reference 338161. The information displayed about this property comprises a property advertisement. Rightmove.co.uk makes no warranty as to the accuracy or completeness of the advertisement or any linked or associated information, and Rightmove has no control over the content. This property advertisement does not constitute property particulars. The information is provided and maintained by Paul Fosh Auctions, Newport. Please contact the selling agent or developer directly to obtain any information which may be available under the terms of The Energy Performance of Buildings (Certificates and Inspections) (England and Wales) Regulations 2007 or the Home Report if in relation to a residential property in Scotland.
Auction Fees: The purchase of this property may include associated fees not listed here, as it is to be sold via auction. To find out more about the fees associated with this property please call Paul Fosh Auctions, Newport on 01633 603042.
*Guide Price: An indication of a seller's minimum expectation at auction and given as a Guide Price or a range of Guide Prices. This is not necessarily the figure a property will sell for and is subject to change prior to the auction.
Reserve Price: Each auction property will be subject to a Reserve Price below which the property cannot be sold at auction. Normally the Reserve Price will be set within the range of Guide Prices or no more than 10% above a single Guide Price.
Map data ©OpenStreetMap contributors.




