Commercial Properties For Sale in Barton-Upon-Humber, South Humberside
Walshe's Property is delighted to present Pasture Wood Fishery, a rare and versatile leisure and business property located on the outskirts of a popular small town in North Lincolnshire. Set across approximately 15 acres, this successful enterprise encompasses four well-maintained fishing la...
Walshe's Property is pleased to offer this fantastic development opportunity in the heart of the popular and sought after market town of Barton-Upon-Humber. The site currently has live planning permission for nine dwellings, further information is available upon request. Currently the...
Part of former comprehensive school site. Existing building will be demolished prior to sale. Suitable for various uses including residential development (subject to planning).Overall site area is 0.47 Ha (1.17 acres) approx.
Walshe's Property is pleased to offer this fantastic development opportunity in the heart of the popular and sought after market town of Barton-Upon-Humber. The site currently has live planning permission for two detached properties, further information is available upon request. Curr...
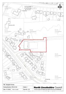
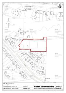
** PA/2021/1661 ** FULL PLANNING PERMISSION FOR 9 NEW DWELLINGS ** A rare opportunity to purchase a private town centre located development site with full planning permission for 9 dwellings that include x8 3 bedroom semi-detached houses and x1 4 bedroom detached houses. It is importa...
Walshe's Property is pleased to offer this fantastic development opportunity in the heart of the popular and sought after market town of Barton-Upon-Humber. The site currently has live planning permission for nine dwellings, further information is available upon request. Currently the...
Walshe's Property is pleased to offer this fantastic development opportunity in the heart of the popular and sought after market town of Barton-Upon-Humber. The site currently has live planning permission for two detached properties, further information is available upon request. Curr...











