Commercial Properties For Sale in KY3
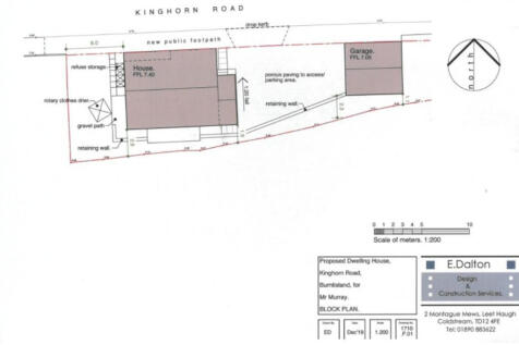
Plot with planning in amazing coastal location in the popular Fife town of Burntisland. Beautiful plot set on the Firth of Forth with planning permission and building warrant granted for the erection of a 3/4 bedroom detached house and garage. The plot has been measured at 484sqm and offers a r...
PRIME NEW LISTING. We are excited to present this fantastic mixed use investment opportunity. PRIME DEVELOPMENT OPPORTUNITYSure to appeal to shrewd investors looking for a mixed use property. Excellent yield potential of 84% if achieved for guide price HIGH YIELD
The subjects are situated in Burntisland which is a popular coastal town situated on the North shore of the Firth of Forth. It lies approximately 6 miles to the Southwest of the larger town of Kirkcaldy which has a population of circa 50,000. The town is a popular tourist destination in the su...
Plot with planning in amazing coastal location in the popular Fife town of Burntisland. Beautiful plot set on the Firth of Forth with planning permission and building warrant granted for the erection of a 3/4 bedroom detached house and garage. The plot has been measured at 484sqm and offers a r...
Approximately 10.08 acres (4.07 hectares) Land located within the Burntisland Settlement Boundary Historic planning permission for development of an 80 bedroom care home Scope for residential use subject to obtaining the necessary consents Full rights of access available ...
PRIME NEW LISTING. We are excited to present this fantastic mixed use investment opportunity. PRIME DEVELOPMENT OPPORTUNITY 2, Galahill, Lammerlaws, Burntisland, Fife KY3 9BS sold for £615,000.65, Kirkton Road, Burntisland, Fife KY3 0BF sold for £565,000. Sure to appeal to shrewd invest...
The land at Chapel Steading presents an opportunity to acquire an attractive residential plot with planning consent for a two-bedroom single storey house near the village of Aberdour, Fife. The plot forms part of the wider three-plot development of homes and the land on offer extends to approxima...
Build your own dream home in a beautiful Fife Town on this plot which has planning consent/building warrant for a 3/4 bedroom detached villa with garage. Situated next to Network Rail and views beyond onto the Firth of Forth and Edinburgh.The plot size is 484sqm and the internal space o...


















