Commercial Properties To Let in Farlington, Portsmouth, Hampshire
Paid partnerships can play a role in listing order
Unit B comprises of a new build, sustainable detached industrial / warehouse of steel portal frame construction inclusive of first and second floor offices. The warehouse also benefits from parking and a secure yard/loading area.
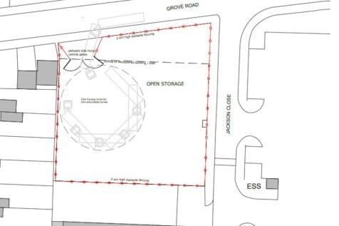
A secure self-contained open storage site on a prominent roadside position. The site will benefit from a 2.4m high palisade fencing and a 5m double leaf gate entrance, the site also benefits from gas, water and electricity connections if required.
Unit 3 to comprise of a new build industrial warehouse or trade counter unit of a steel portal frame under a pitched roof with part cladding and part brickwork elevations. The building will front Jackson Close and benefit from prominence to Grove Road. There will be car parking (17 spaces) and a ...
New High-Quality Development of 7 Industrial / Warehouse Units. Located within the established Farlington Industrial area, to the northeast of Portsmouth City Centre, and within close proximity to the Sainsbury's superstore, the development benefits from an extensive frontage to Fitzherbert Road.
The property is a mid terrace, trade/industrial unit of steel portal frame construction with block work and part profile clad to the front, side and rear elevations. There is a pedestrian and a trade entrance to the front of the unit, along with an up and over loading door. The property benefit...





