Commercial Properties To Let in Kirkham, Preston, Lancashire
This very unique property was originally constructed as a single storey social club known as 'The Willows Social Club'. It is located within a predominantly residential location. The property boasts 3 main function rooms / business space areas, each of which benefits from a bar and WC facilities...
The Unit comprises: - Open plan business space. - Workshop / warehouse / storage space. - Fabrication / manufacturing / other uses considered, subject to landlord and planning consent. - Initial viewings available by appointment - Very convenient location - Main entrance security gate, for securi...
This modern office accommodation is mainly open plan with some partitioned private offices. Each floor comes complete with its own kitchen and WC facilities. The accommodation is of high specification to include: - Computer floor/ data outlet boxes - Stainless steel architectural features - Arc...
The Unit comprises: - Open plan business space. - Workshop / warehouse / storage space. - Fabrication / manufacturing / other uses considered, subject to landlord and planning consent. - Initial viewings available by appointment - Very convenient location - Main entrance security gate, for securi...
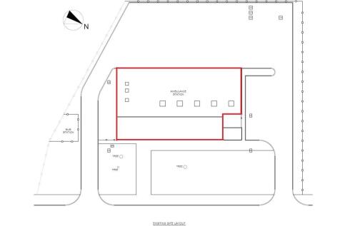
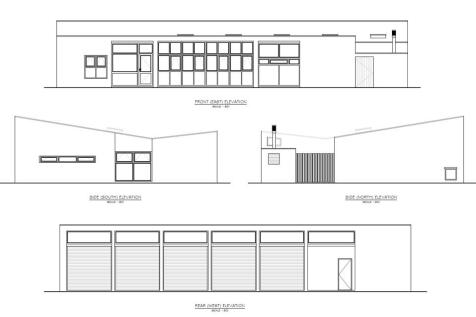
This former Ambulance Station sits within a site measuring approx. 0.36 acres. The landlord would consider a variety of letting options. The property comprises a single story primarily brick built building. The building comprises an industrial / workshop type section in terms of garages / ambula...
Unit 7 A&B comprises: - Open plan business space - 2 no. roller shutter / loading doors. - 3 phase 60amp electric supply - Workshop / warehouse / storage space - Ideal for a small - medium size business and/or additional storage / workshop space for a larger business. - Very convenient location ...
This ground floor premises: - Occupies a prime trading location - Benefits from a wealth of passing pedestrian and vehicle trade - Could be used for various uses subject to planning - Offers excellent front window frontage and branding options - Excellent signage opportunity - Close to a pedes...
High specification first floor office suite located within Unit 1 The Crossroads comprising open plan accommodation. Air-conditioning Far reaching views over open fields Self-contained with separate WC and kitchen facilities Ideally located offices providing ease of commuting to various Town...
This high specification Second Floor Office Suite is located within Unit 4, The Crossroads and comprises: - Open plan office accommodation - Glazed partition offices and boardroom - Feature Meeting / Boardroom - Staircase to a feature mezzanine storage area - Air conditioning - Far reachin...
First floor offices: - Occupy a prime business location - Benefits from a wealth of passing pedestrian and vehicle trade - Benefits from a wealth of natural light, with return frontage onto Birley Street. - Excellent signage opportunity - subject to landlord and planning consent - Internal v...
This modern office accommodation is mainly open plan with some partitioned private offices. The offices have kitchen and WC facilities. The accommodation is of high specification to include: - Computer floor/ data outlet boxes - Stainless steel architectural features - Architectural aluminum an...
Modern Offices set on the first & second floors: - Own entrance to the rear of the main building - Accessed off the rear public car park, that presently provides free car parking. - Modern offices in good order throughout - 4 no. offices in total, plus Kitchen. - WC with wash hand basin. - The o...