Commercial Properties To Let in Portsmouth, Hampshire
UNDER OFFER The property comprises a period, mid-terrace office building over basement, ground, first and second floors with a more modern rear extension providing additional office accommodation. The offices are generally cellular in nature and undergoing refurbishment. The older front sectio...
Lakeside North Harbour offers high specification refurbished office accommodation in a variety of shapes and sizes. Spacious, light and airy offices benefit from a high quality finish. For organisations seeking to develop, create and innovate, a wide variety of R&D space is available. Whichever b...
Both properties comprise a hybrid offering providing a mix of industrial and office space. The units are host to inner courtyards, benefitting from a high percentage of glazing across both floors underneath a low-pitched metal profile clad rood without any translucent panels.
A secure self contained open storage site available on flexible terms. The site is fully secure with perimeter fencing and gated access and benefits from a power supply. Please note all containers will be removed from the site.
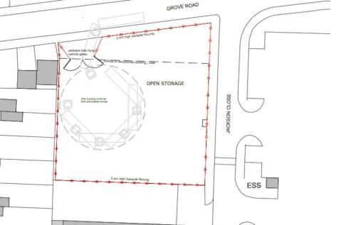
A secure self-contained open storage site on a prominent roadside position. The site will benefit from a 2.4m high palisade fencing and a 5m double leaf gate entrance, the site also benefits from gas, water and electricity connections if required.
The property comprises units 3 & 4 of a terrace of three modern industrial / warehouse units of steel portal frame construction with brick and blockwork and profiled steel elevations. The roofs are pitched and clad with insulated profiled and steel sheeting incorporating roof lights. Offices incl...
A FLEXIBLE, SOUTH-FACING OFFICE SUITE measuring 18,151 sq. ft of light-filled, flexible workspace with stunning lake views, private amphitheatre, three fitted kitchens and exclusive waterside seating area - ready for immediate move-in. Offering exceptional amenities including air conditioning, de...



















