With Full PP for 2 dwelings Adj. 51 Cowbit Road, PE11 2RJ
- SIZE
Ask agent
- SECTOR
Residential development for sale
Description
LOCATION
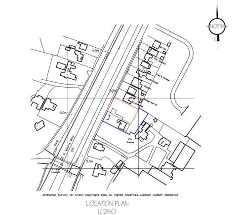
** Situated on Cowbit Road, Spalding - Land with Full PP for 2 dwellings, overlooking the River Welland, located just a short distance from Spalding town centre - Area Approximately 825m². Frontage approx 20m, widening to 23m, and 38m maximum depth - Full Planning Consent Granted for Two No. 3 Bedroom Detached Houses with integral single garages **
The land is situated close to the Little London Bridge off Cowbit Road, Spalding, and are within walking distance of the town and other local amenities. Cowbit Road is close to the A16, which provides good access to Peterborough and onward fast train journeys are available to London´s Kings Cross (within 50 minutes). Spalding Railway Station also connects to Lincoln and Doncaster and beyond to the North.
DESCRIPTION
The land extends to approximately 825m². The area offered for sale is edged with a thick red line and is part of the area shown edged red on the determined Planning Application plan included in these Particulars (for identification purposes only). The land is broadly rectangular in shape.
At the present time the property comprises part of the garden to the Vendors´ adjacent residential property. New accesses will be required to be formed to Cowbit Road to serve the plots.
SERVICES
Mains electricity, gas, drainage and water are available in the locality. However, proposed purchasers must check the availability by making their own enquiries with the relevant Utility providers.
Water & Sewerage: Anglian Water Customer Services, PO Box 10642, Harlow, Essex, CM20 9HA
CALL:
County & Highways: Lincolnshire County Council, County Offices, Newland, Lincoln LN1 1YL
CALL:
Electricity: Western Power Distribution - New Supplies - Customer Application Team,
Tollend Road, Tipton, DY4 0HH
Email:
CALL:
Gas: Cadent Gas
CALL:
VAT
Not applicable.
PLANNING
Full Planning Consent was granted by South Holland District Council - Reference No: H16-1026-24 dated 31 January 2025, showing the land developed for two 3 bedroom detached houses with integral garages. A copy of the formal Planning Consent is available from the Council´s website - - or is available from the Agent´s Spalding Office. Included in these Particulars is a copy of the plans determined by the Planning Application which show the designs of the properties.
NB : The purchaser will be responsible for compliance with all Planning Conditions, and for all costs associated thereto.
Any queries in respect of Planning matters should be addressed direct to South Holland District Council - Planning Department - CALL: EMAIL:
OTHER
NOTES
- Rights for services to the Vendors´ retained land are reserved.
- The purchaser will be responsible for the costs of removal of any remaining trees/stumps on the plot.
- No impact driven Piling - Trench Fill, Raft or Mini Augured permitted.
- Plant used onsite to be a maximum of 6 Tonnes.
- Any amendment or new application must be fully approved by the Vendor prior to any Planning application being submitted.
VIEWING
By Appointment with the Vendors' Agent R Longstaff & Co. Tel - email:
Brochures
With Full PP for 2 dwelings Adj. 51 Cowbit Road, PE11 2RJ
NEAREST STATIONS
Distances are straight line measurements from the centre of the postcode- Spalding Station0.9 miles
Notes
Disclaimer - Property reference 101505013865. The information displayed about this property comprises a property advertisement. Rightmove.co.uk makes no warranty as to the accuracy or completeness of the advertisement or any linked or associated information, and Rightmove has no control over the content. This property advertisement does not constitute property particulars. The information is provided and maintained by Longstaff Chartered Surveyors, Spalding. Please contact the selling agent or developer directly to obtain any information which may be available under the terms of The Energy Performance of Buildings (Certificates and Inspections) (England and Wales) Regulations 2007 or the Home Report if in relation to a residential property in Scotland.
Map data ©OpenStreetMap contributors.





