Land for sale
Feldale Drove: Coates
- PROPERTY TYPE
Land
- SIZE
Ask agent
Key features
- For Sale - Freehold with Vacant Possession
- 14.840 Acres - 6.006 Hectares (or thereabouts)
- Grade 2 (Arable) Agricultural Land
- Feldale Drove, Coates, Near Peterborough
- Price offers of not less than £110,000 are invited for the whole, subject to contract
Description
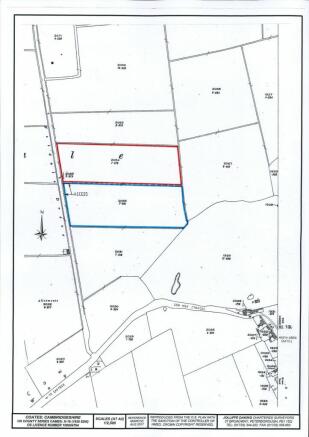
14.840 ACRES 6.006 HECTARES
(or thereabouts)
GRADE 2 (ARABLE) AGRICULTURAL LAND
FELDALE DROVE, COATES, NEAR PETERBOROUGH
as shown within the boundaries edged red and blue on the attached identification plan.
PRICE: Offers of not less than £100,000 are invited for the whole, subject to contract.
VIEWING
Prospective purchasers may view the land without further authority from the Agents but should carry a copy of these particulars with them during the course of their inspection and produce them if requested.
NOTES
The two fields are no longer separately physically defined and are in different ownership, but within the same family.
O.S. Number 2064 is owned by the Executors of the Late Miss A.H. Hurry who also own a 50% interest in O.S. Number 2066. The remaining 50% interest is owned equally by two other members of Miss Hurry's family.
For this reason separate offers are invited for each field or for their combined purchase if interested parties would only be interested in acquiring both parcels.
The land has not been cultivated since September 2021.
Feldale Drove: Coates
NEAREST STATIONS
Distances are straight line measurements from the centre of the postcode- Whittlesea Station2.0 miles
Notes
Disclaimer - Property reference PET0003439. The information displayed about this property comprises a property advertisement. Rightmove.co.uk makes no warranty as to the accuracy or completeness of the advertisement or any linked or associated information, and Rightmove has no control over the content. This property advertisement does not constitute property particulars. The information is provided and maintained by Jolliffe Daking, Peterborough. Please contact the selling agent or developer directly to obtain any information which may be available under the terms of The Energy Performance of Buildings (Certificates and Inspections) (England and Wales) Regulations 2007 or the Home Report if in relation to a residential property in Scotland.
Map data ©OpenStreetMap contributors.






