
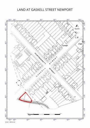
Land adjacent to 29, Gaskell Street, Newport, Gwent, NP19 0GH
- PROPERTY TYPE
Land
- SIZE
Ask agent
Description
Guide Price: £13,500
Land With Potential
An area of land located on the east side of Newport. It is situated on Gaskell Street, which is just off Corporation Road. It is within an established residential area and is surrounded by local amenities and excellent road links via the Southern Distributor Road, which leads to the M4 motorway at junctions 24 and 28.
The land offers potential for a number of uses, including residential development (subject to the necessary consents). We estimate the land to measure approximately 298.21m2.
The land can be viewed unaccompanied, but please be respectful of the neighbouring properties.
Tenancy Details
To be sold with vacant possession
Tenure
Advised freehold - to be verified
Applicable Fees Please note: A Buyers Premium will be applicable to all lots sold at auction, this is charged at 0.01 inc. VAT of the final sale price (subject to a minimum of 995.00 inc. VAT).
Brochures
Legal DocumentsOnline BiddingLand adjacent to 29, Gaskell Street, Newport, Gwent, NP19 0GH
NEAREST STATIONS
Distances are straight line measurements from the centre of the postcode- Newport (S. Wales) Station1.1 miles
- Pye Corner Station2.8 miles
- Rogerstone Station4.1 miles
Notes
Disclaimer - Property reference 240162. The information displayed about this property comprises a property advertisement. Rightmove.co.uk makes no warranty as to the accuracy or completeness of the advertisement or any linked or associated information, and Rightmove has no control over the content. This property advertisement does not constitute property particulars. The information is provided and maintained by Sage & Co Auctions, Cwmbran. Please contact the selling agent or developer directly to obtain any information which may be available under the terms of The Energy Performance of Buildings (Certificates and Inspections) (England and Wales) Regulations 2007 or the Home Report if in relation to a residential property in Scotland.
Auction Fees: The purchase of this property may include associated fees not listed here, as it is to be sold via auction. To find out more about the fees associated with this property please call Sage & Co Auctions, Cwmbran on 01633 603899.
*Guide Price: An indication of a seller's minimum expectation at auction and given as a Guide Price or a range of Guide Prices. This is not necessarily the figure a property will sell for and is subject to change prior to the auction.
Reserve Price: Each auction property will be subject to a Reserve Price below which the property cannot be sold at auction. Normally the Reserve Price will be set within the range of Guide Prices or no more than 10% above a single Guide Price.
Map data ©OpenStreetMap contributors.




