
Land for sale
Development Site, Devonside Road, Carmichael, ML12 6PQ
- PROPERTY TYPE
Land
- SIZE
Ask agent
Key features
- Development Site
- Just Over 10 Acres
- Conditional Planning Permission
- Beautiful Rural Location
Description
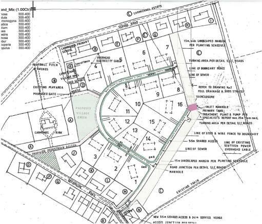
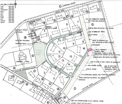
Offered for sale is this development site situated in the charming rural hamlet of Carmichael, nestled in the South Lanarkshire countryside. The site extends to just over 10 acres with conditional planning permission passed for the construction of 16 new homes set within large plots with open country views. The potential purchaser will need to submit further applications and building warrants for the detailed house styles proposed. The approval was initially granted back in 2006 but the planning remains live due to some landscaping and access works which have been carried out by the current owner. Planning Ref. CL/03/0576
The rural hamlet of Carmichael is approximately 5 miles from the historic market town of Lanark and just over 9 miles from the popular town of Biggar. The hamlet has a collection of residential homes and Primary School and Church. The site also lies just 6 miles from the M74 providing fantastic commuting links across Central Scotland. Both Scotland’s major cities are within approximately an hours commute.
• Conditional planning for sixteen homes
• Beautiful rural location yet close to Scotland’s major cities
• All purchase structures considered
Brochures
Property BrochureDevelopment Site, Devonside Road, Carmichael, ML12 6PQ
NEAREST STATIONS
Distances are straight line measurements from the centre of the postcode- Lanark Station3.9 miles
- Carstairs Station4.5 miles
Notes
Disclaimer - Property reference 37fba0ab-7427-4201-9c85-1186a27cfbaa. The information displayed about this property comprises a property advertisement. Rightmove.co.uk makes no warranty as to the accuracy or completeness of the advertisement or any linked or associated information, and Rightmove has no control over the content. This property advertisement does not constitute property particulars. The information is provided and maintained by Remax Clydesdale, Lanark. Please contact the selling agent or developer directly to obtain any information which may be available under the terms of The Energy Performance of Buildings (Certificates and Inspections) (England and Wales) Regulations 2007 or the Home Report if in relation to a residential property in Scotland.
Map data ©OpenStreetMap contributors.





