Skip to content
NEW HOME

Portloe, The Roseland Peninsula

Guide Price
£410,000
H Tiddy, St Mawes
PROPERTY TYPE

Plot

BEDROOMS

4

BATHROOMS

3

SIZE

Ask agent

Key features

  • Unique opportunity to build your dream home
  • Building Plot with Planning Permission for detached House
  • Picturesque location between Portloe and Portholland
  • Foundations already laid.
  • South facing boasting spectacular views
  • Attached garage and parking
  • Three / Four bedroom accommodation

Description

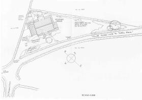
Cruggan Building Plot

A unique opportunity to purchase an individual building plot with planning permission for a farmhouse style three-bedroom detached house, with attached garage, driveway parking and garden, with fabulous sea, coastal and countryside views.


Description
Nestled in the picturesque landscape between Portholland and Portloe, this 'one of a kind' building plot of approximately 0.2 acres presents a unique opportunity to create your dream home in a truly enchanting location. With planning permission already granted, under application number C1/PA36/1262/05/R, for a stunning 3 / 4 bedroom farmhouse style property, the possibilities are endless. The foundations have already been laid, so planning is granted in perpetuity, and the site benefits from mains electricity already connected, a private water supply and a private septic tank in situ.

Proposed Property
The proposed property will sit facing South and boasts spectacular sea views overlooking the sparkling waters of Veryan Bay and extending further over neighbouring fields towards Dodman Point, offering the perfect blend of natural beauty and rural tranquility.

In addition to the stunning vistas, this proposed property benefits from provisions for driveway parking, attached single garage and a garden, and offers ample space for outdoor activities and relaxation.

Location
With village amenities just a short distance away in the nearby villages of Veryan and Tregony, you can enjoy the convenience of nearby shops, pubs, and services while still relishing in the peaceful seclusion of this idyllic location.

With building plots of this nature rarely available on the Roseland Peninsula, viewing is unhesitatingly recommended.

Location Summary
(Distances and times are approximate)
Veryan Post Office and Stores: 2.1 miles. Roseland Garage & Petrol Station: 2.3 miles. Portloe Harbour: 1.3 miles. Carne Beach: 3.4 miles. Tregony: 4 miles. Truro: 11.3 miles. Cornwall Airport Newquay: 20 miles (flights to London, other UK Regional Airports and European Destinations). St Austell: 11.5 miles (London Paddington 4.5 hours by direct train).

Portloe
Portloe is a very attractive, protected and unspoilt fishing village, located on the Roseland Peninsula, an Area of Outstanding Natural Beauty with safe sailing waters. It has a fine hotel, a public house, bus service and Fibre Broadband. The village of Veryan is approximately 1.5 miles, and provides a primary school, Church, mini-market / post office and public house. St Mawes and Tregony have more comprehensive facilities and are approximately 10 miles and 5 miles away respectively. Carne Beach, owned by the National Trust, offers a wide expanse of clean sand and safe bathing and is about 2.3 miles away. The market town of St Austell and Cathedral City of Truro are about 10 miles away, Truro being the commercial and judicial centre for Cornwall. It also has a main line inter-city railway link, with branch services to the port of Falmouth.

Cornwall
The Duchy of Cornwall offers a range of accessible attractions such as the Eden Project, the National Maritime Museum, the Lost Gardens of Heligan, and the Tate Gallery. The Cathedral City of Truro has a fine range of stores, private schools, college and the main hospital in the county (RCH Treliske). Both Falmouth University, Truro College and Cornwall Airport at Newquay are rapidly expanding.

Fine Dining Restaurants
Fine dining Michelin star and celebrity chef restaurants are in abundance, including Rick Stein (Padstow), Nathan Outlaw (Port Isaac), Paul Ainsworth (Padstow and Rock). Rising stars on The Roseland Peninsula include Simon Stallard at The Hidden Hut on Porthcurnick Beach and The Standard Inn in Gerrans, Paul Wadham at Hotel Tresanton, St Mawes, Stuart Shaw at the Idle Rocks, St Mawes and Michael Golez at The Lugger Hotel in Portloe.


General Information

Services: Mains electricity nearby for connection, private drainage. Private water supply from Cruggan Farm.

Community Infrastructure Levy: Depending on individual circumstances, this is a charge levied under Cornwall's CIL Charging Schedule, collected upon commencement of the build. Enquiries should be made by applicants with the planning authority.

Relevant Planning Permission: PA36/1262/05/R.

Currently EPC and Council Tax exempt.

FTTC Broadband available: Openreach predicted max download speeds: Superfast 46 Mbps; Standard 24 Mbps.

Ofcom Mobile Area Coverage Rating: Good.

Land Registry Title Number: CL212768.

Tenure: Freehold.

Long-Term-Flood-Risks: River/Sea: Very Low Risk. Surface Water: Medium Risk

Viewing: Strictly by appointment with H Tiddy.


Important Notice
Every effort has been made with these details but accuracy is not guaranteed and they are not to form part of a contract. Representation or warranty is not given in relation to this property. All negotiations must be with H Tiddy. Before proceeding to purchase, buyers should consider an independent check of all aspects of the property. Further information on mobile coverage and broadband availability is found on ofcom and openreach 'checker' websites. Visit the Gov.uk website for further information and to 'check long term flood risks'.

General Data Protection Regulations: We treat all data confidentially and with the utmost care and respect. If you do not wish your personal details to be used by us for any specific purpose, then you can unsubscribe or change your communication preferences and contact methods at any time by informing us either by email or in writing at our office in St Mawes

Brochures

Brochure 1

Portloe, The Roseland Peninsula

NEAREST STATIONS

Distances are straight line measurements from the centre of the postcode
  • Truro Station8.3 miles

About H Tiddy, St Mawes

The Square, St. Mawes, TR2 5AG
Industry affiliations:Industry affiliation logo 0Industry affiliation logo 1Industry affiliation logo 2

* We take the strain out of buying and selling.

* Independent estate agent established for over 100 years.

* Free, no obligation confidential valuations.

* Extensive international, national and local registered buyers database.

* Prominent office location in the exclusive coastal village of St Mawes.

* 24/7 presence on interactive touch screens in London’s Park Lane displaying our openly marketed properties.

* Local knowledge essential to successful sales and achieving maximum prices.

* Members of The Guild of Property Professionals, the UK's largest network of around 800 independent estate agents who are committed to shared core values of knowledge, integrity and results.

* Monthly high quality glossy and fortnightly interactive ezine magazines.

* Standards you can trust from a professional local company providing a personal service.

* Specialists in coastal and country properties covering The Roseland Peninsula, Cornish Riviera, and the rivers and creeks around The Carrick Roads.

Notes

These notes are private, only you can see them.

Disclaimer - Property reference HTD_HTD_LFSYCL_919_1080342454. The information displayed about this property comprises a property advertisement. Rightmove.co.uk makes no warranty as to the accuracy or completeness of the advertisement or any linked or associated information, and Rightmove has no control over the content. This property advertisement does not constitute property particulars. The information is provided and maintained by H Tiddy, St Mawes. Please contact the selling agent or developer directly to obtain any information which may be available under the terms of The Energy Performance of Buildings (Certificates and Inspections) (England and Wales) Regulations 2007 or the Home Report if in relation to a residential property in Scotland.

Map data ©OpenStreetMap contributors.