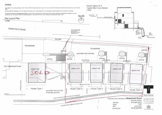
Plot 2 Land At Wakefield Road, Copley
- PROPERTY TYPE
Land
- SIZE
Ask agent
Key features
- Building Land with Full Planning Permission
- Detached Executive Home
- Views Over Norland Hillside
- Excellent Access to The Trans Pennine Road & Rail Network Linking Manchester & Leeds
- Easy Access to Outstanding Schools
- The Chance to Build Your Dream Home
- Single Building Plot
- Realistically Priced
Description
PLANNING PERMISSION
Full details can be downloaded from Calderdale Councils Website
https:/
ew.calderdale.gov.uk/planning-and-building-control/search-and-comment-planning-applications
TO VIEW
Strictly by appointment please contact the selling Agents Property@kemp&Co on
DIRECTIONS
SAT NAV HX6 2AZ
Brochures
Plot 2 Land At Wakefield Road, CopleyBrochurePlot 2 Land At Wakefield Road, Copley
NEAREST STATIONS
Distances are straight line measurements from the centre of the postcode- Sowerby Bridge Station0.5 miles
- Halifax Station1.9 miles
- Mytholmroyd Station3.8 miles



Notes
Disclaimer - Property reference 33266183. The information displayed about this property comprises a property advertisement. Rightmove.co.uk makes no warranty as to the accuracy or completeness of the advertisement or any linked or associated information, and Rightmove has no control over the content. This property advertisement does not constitute property particulars. The information is provided and maintained by Property @ Kemp and Co, Halifax. Please contact the selling agent or developer directly to obtain any information which may be available under the terms of The Energy Performance of Buildings (Certificates and Inspections) (England and Wales) Regulations 2007 or the Home Report if in relation to a residential property in Scotland.
Map data ©OpenStreetMap contributors.






