
Plot for sale
Building Site, Near Blinkbonny, Herston
- PROPERTY TYPE
Plot
- SIZE
Ask agent
Description
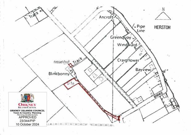
There is Planning in Principle to erect a new dwelling on the site (OIC ref 23/344/PIP). The sellers will remove the Nissan hut as stipulated by the OIC.
The purchasers of the site will have access rights to the property which will include a share of the upkeep of the track.
This large building site, extending to 1500m2 or thereby, enjoys a beautiful panoramic view from its elevated position.
There is Planning in Principle to erect a new dwelling on the site (OIC ref 23/344/PIP). The sellers will remove the Nissan hut as stipulated by the OIC.
The purchasers of the site will have access rights to the property which will include a share of the upkeep of the track.
Building Site, Near Blinkbonny, Herston
NEAREST STATIONS
Distances are straight line measurements from the centre of the postcode- Thurso Station24.1 miles
Notes
Disclaimer - Property reference BRS240138. The information displayed about this property comprises a property advertisement. Rightmove.co.uk makes no warranty as to the accuracy or completeness of the advertisement or any linked or associated information, and Rightmove has no control over the content. This property advertisement does not constitute property particulars. The information is provided and maintained by Lows Solicitors, Orkney. Please contact the selling agent or developer directly to obtain any information which may be available under the terms of The Energy Performance of Buildings (Certificates and Inspections) (England and Wales) Regulations 2007 or the Home Report if in relation to a residential property in Scotland.
Map data ©OpenStreetMap contributors.





