
Land for sale
Kelsall, Nr Tarporley, Cheshire, CW6
- PROPERTY TYPE
Land
- SIZE
Ask agent
Description
OF INTEREST TO DEVELOPERS, INVESTORS & SPECULATORS
DESCRIPTION
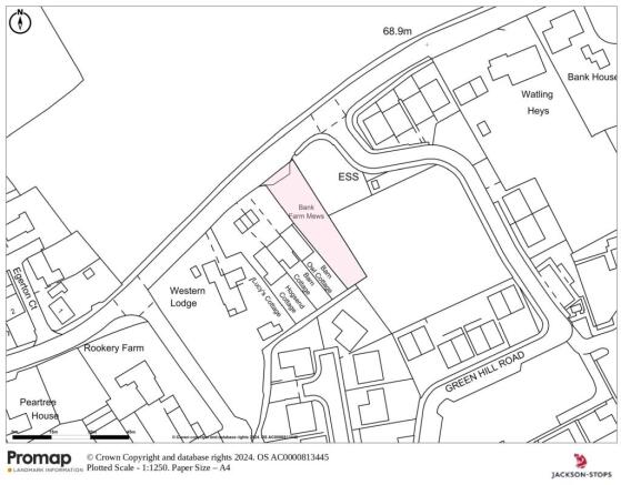
The plot comprises a rather neglected parcel of ground fronting Chester Road and extending to 0.15 acres. It is accessed from Chester Road via land which forms part of the driveway to the neighbouring properties which have the benefit of a right of way. It is rectangular in shape being 52.37 metres deep and 15.91 metres wide along the frontage to Chester Road, narrowing to 8.56 metres along the rear boundary.
TOWN & COUNTRY PLANNING
The plot appears to be capable of supporting a single dwelling and in March 2022 plans were submitted to Cheshire West & Chester Council seeking consent to erect a detached 4-bedroom house with a gross internal floor area of 2,605 sq ft (242 sq m) together with a single garage. Planning Application No. 22/00834/FUL was refused by Cheshire West & Chester Council on 14 September 2023. A subsequent appeal was dismissed by The Planning Inspectorate on 22 August 2024 and the main issues were that the proposed development was not compatible with the neighbouring terrace of 3 houses and detracted from the character of the village Conservation Area.
LOCATION
The land is situated on the north-west side of Kelsall within the village Conservation Area albeit close to the boundary. It has frontage to Chester Road adjacent to a recent residential development and the new doctor’s surgery. The village which is within walking distance is fully serviced catering for everyday needs with both Methodist and Church of England churches, doctor’s surgery, chemist, butchers, village store, veterinary practice, pubs and restaurants. The county town of Chester which is 9 miles distant offers a more comprehensive range of services, supermarkets and out of town retail parks. Schooling in the area is well catered for with a primary school in the village and state secondary schools in Tarporley and Christleton. Private schools in the area include the King’s & Queen’s schools in Chester, Abbeygate College at Saighton and The Grange at Hartford. On the recreational front there are numerous clubs nearby offering football, rugby, cricket and hockey as well as a thriving tennis and bowls club in the village. There is sailing on the River Dee at Chester and nearby at Manley Mere, golf courses at Oscroft, Delamere and Sandiway and extensive walking on the Sandstone Trail.
COMMUNICATIONS
The area enjoys excellent road links to all areas of commerce throughout the North West. Beyond Chester access is gained to the M53 and M56 motorways connecting to Liverpool and Manchester which are both within daily travelling distance and served by international airports. Travel to London is available from Chester Station via Crewe which provides a sub 2 hour inter-city rail service to Euston or alternatively from the equidistant Hartford Village Station.
PROPERTY INFORMATION
Tenure: Freehold with vacant possession.
Services: Mains services available in Chester Road.
Local Authority: Cheshire West & Chester Council.
Future Development: The sale contract will not reserve any future development value in favour of the vendor.
Viewings: Strictly by appointment via Jackson-Stops, Chester office.
DIRECTIONS
what3words: ///producing.shatters.saying
From Chester proceed on the A51 signposted Manchester. At the Tarvin roundabout take the A54 ascending the hill and having passed Tarvin continue to the Kelsall by-pass bearing right at the bottom of the hill into the village. After passing the Royal Oak Pub on your left, continue up the hill and the plot will be seen shortly on your righthand side.
Brochures
ParticularsKelsall, Nr Tarporley, Cheshire, CW6
NEAREST STATIONS
Distances are straight line measurements from the centre of the postcode- Mouldsworth Station1.8 miles
- Delamere Station2.6 miles
- Helsby Station5.2 miles
Notes
Disclaimer - Property reference CHR250020. The information displayed about this property comprises a property advertisement. Rightmove.co.uk makes no warranty as to the accuracy or completeness of the advertisement or any linked or associated information, and Rightmove has no control over the content. This property advertisement does not constitute property particulars. The information is provided and maintained by Jackson-Stops, Chester. Please contact the selling agent or developer directly to obtain any information which may be available under the terms of The Energy Performance of Buildings (Certificates and Inspections) (England and Wales) Regulations 2007 or the Home Report if in relation to a residential property in Scotland.
Map data ©OpenStreetMap contributors.








