Plot for sale
Doctor Hill, Wheatley, Halifax
- PROPERTY TYPE
Plot
- SIZE
Ask agent
Key features
- EXCITING DEVELOPMENT OPPORTUNITY
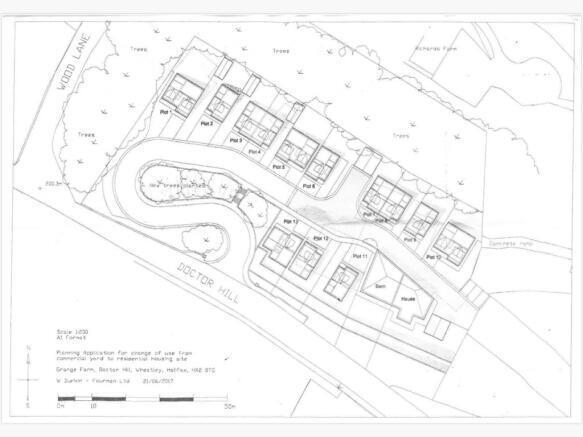
- 13 RESIDENTIAL DWELLINGS
- OUTLINE PLANNING PERMISSION HAS LAPSED
- POPULAR AREA OF WHEATLEY
- BEAUTIFUL SETTING WITH SURROUNDING FIELDS AND WOODLAND
- CALDERDALE PLANNING REF 17/00776/OUT
Description
Lapsed outline planning was approved for 13 new dwellings. The proposal is for the demolition of existing commercial premises to facilitate the construction of up to 13 new dwellings.
The application was in Outline only with all matters reserved. Matters which includes access, appearance, landscaping, layout and scale will be considered at Reserved Matters Stage. Calderdale planning portal reference 17/00776/OUT.
The barn and house are not included within the sale
Please Note - 1. MONEY LAUNDERING REGULATIONS: Intending purchasers will be asked to produce identification documentation at a later stage and we would ask for your co-operation in order that there will be no delay in agreeing the sale.
2. General: While we endeavour to make our sales particulars fair, accurate and reliable, they are only a general guide to the property and, accordingly, if there is any point which is of particular importance to you, please contact the office and we will be pleased to check the position for you, especially if you are contemplating travelling some distance to view the property.
3. Measurements: These approximate room sizes are only intended as general guidance. You must verify the dimensions carefully before ordering carpets or any built-in furniture.
4. Services: Please note we have not tested the services or any of the equipment or appliances in this property, accordingly we strongly advise prospective buyers to commission their own survey or service reports before finalising their offer to purchase.
5. THESE PARTICULARS ARE ISSUED IN GOOD FAITH BUT DO NOT CONSTITUTE REPRESENTATIONS OF FACT OR FORM PART OF ANY OFFER OR CONTRACT. THE MATTERS REFERRED TO IN THESE PARTICULARS SHOULD BE INDEPENDENTLY VERIFIED BY PROSPECTIVE BUYERS OR TENANTS. NEITHER PETER DAVID PROPERTIES NOR ANY OF ITS EMPLOYEES OR AGENTS HAS ANY AUTHORITY TO MAKE OR GIVE ANY REPRESENTATION OR WARRANTY WHATEVER IN RELATION TO THIS PROPERTY.
Brochures
Doctor Hill, Wheatley, HalifaxBrochureDoctor Hill, Wheatley, Halifax
NEAREST STATIONS
Distances are straight line measurements from the centre of the postcode- Sowerby Bridge Station1.8 miles
- Halifax Station1.9 miles
- Mytholmroyd Station3.6 miles
About Peter David Properties, Halifax
Peter David Properties Ltd, 361 Skircoat Green Road, Halifax, HX3 0RP

Notes
Disclaimer - Property reference 33683603. The information displayed about this property comprises a property advertisement. Rightmove.co.uk makes no warranty as to the accuracy or completeness of the advertisement or any linked or associated information, and Rightmove has no control over the content. This property advertisement does not constitute property particulars. The information is provided and maintained by Peter David Properties, Halifax. Please contact the selling agent or developer directly to obtain any information which may be available under the terms of The Energy Performance of Buildings (Certificates and Inspections) (England and Wales) Regulations 2007 or the Home Report if in relation to a residential property in Scotland.
Map data ©OpenStreetMap contributors.



