Residential development for sale
Land Off Berkeley Vale, Berkeley Vale, Falmouth, Cornwall, TR11 3PH
- SIZE AVAILABLE
12,240 sq ft
1,137 sq m
- SECTOR
Residential development for sale
Key features
- Rare land opportunity
- Potential for exciting new development
- Attractive residential location
- 0.281 acre site
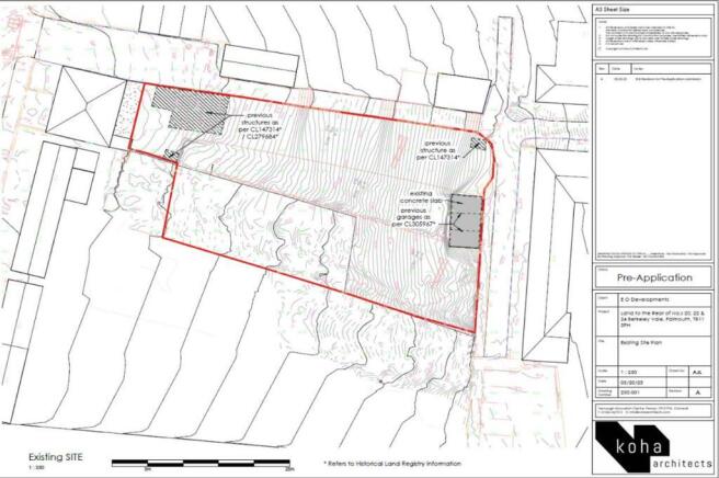
- Pre- app advice for residential development obtained see PA24/00410/PREAAP
- Short walk from Falmouth town centre
- Offers considered either subject to planning or subject to contract only
Description
Location
Falmouth has a resident population of around 24,000 (Cornwall County Council Socio Economic Statistics for Cornwall, 2021) and lies approximately 12 miles from Truro, Cornwall's capital. Falmouth is a very popular residential location. The town is famous for its marine history and has the benefit of branch line railway service to Truro.
The land is situated just off Berkeley Vale in the heart of Falmouth, well placed for easy access to all the popular amenities of the town centre. Vehicular access is from Berkeley Hill.
Accommodation
The land has an approximate area of 0.114 hectares (0.281 acres) measured from Nimbus mapping system.
Planning
A response to a pre-app planning enquiry, ref no PA24/00410/PREAPP has been received. This enquiry can be viewed on the Cornwall Council planning portal as follows:-
PA24/00410/PREAPP | Pre-application advice for development of 9 (No.) dwellings. | Land North Of 22 & 24 Berkeley Vale Berkeley Vale Falmouth Cornwall TR11 3PA
Rent / Price
The property is available freehold and offers are invited either subject to contract only or subject to planning will be considered. Guide price £650,000.
Business Rates
Not applicable.
Services
We understand that mains electricity, water and drainage are all in the vicinity. Interested parties should should make their own enquiries.
EPC
Not applicable.
Legal Fees
Each party to be responsible for their own legal fees in relation to this transaction.
VAT
All figures quoted are exclusive of VAT if applicable.
Brochures
Land Off Berkeley Vale, Berkeley Vale, Falmouth, Cornwall, TR11 3PH
NEAREST STATIONS
Distances are straight line measurements from the centre of the postcode- Penmere Station0.4 miles
- Falmouth Town Station0.6 miles
- Falmouth Docks Station0.9 miles
Notes
Disclaimer - Property reference 21171FH. The information displayed about this property comprises a property advertisement. Rightmove.co.uk makes no warranty as to the accuracy or completeness of the advertisement or any linked or associated information, and Rightmove has no control over the content. This property advertisement does not constitute property particulars. The information is provided and maintained by Vickery Holman, Truro. Please contact the selling agent or developer directly to obtain any information which may be available under the terms of The Energy Performance of Buildings (Certificates and Inspections) (England and Wales) Regulations 2007 or the Home Report if in relation to a residential property in Scotland.
Map data ©OpenStreetMap contributors.




