
Llwyncelyn Road, Glanamman, Ammanford, Carmarthenshire, SA18
- PROPERTY TYPE
Land
- SIZE
Ask agent
Key features
- One Sizeable Building Plot
- Far Reaching Views Along A Leafy Country Lane
Description
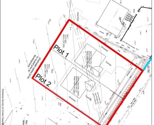
Each plot spans approximately 14.7 meters in width and 28 meters in depth, providing ample space for designing a bespoke residence tailored to your preferences. With outline planning permission already secured (planning reference number: E/39321), the idea is laid for transforming these parcels into a haven of modern living amidst nature's splendor.
Imagine waking up to the tranquil ambiance of rural life, with the gentle rustle of leaves and the distant murmur of streams as your backdrop. Whether you envision a cozy retreat or a contemporary architectural marvel, these plots offer boundless potential for realizing your vision.
Conveniently located yet blissfully secluded, these plots strike the perfect balance between accessibility and escapism. Embrace a lifestyle of serenity and inspiration in Glanamman, where every day unfolds against a backdrop of breathtaking scenery.
Don't miss this chance to secure your slice of paradise. Contact us now to arrange a viewing and embark on the journey to creating your own sanctuary amidst nature's grandeur.
Llwyncelyn Road, Glanamman, Ammanford, Carmarthenshire, SA18
NEAREST STATIONS
Distances are straight line measurements from the centre of the postcode- Ammanford Station2.7 miles
- Pantyffynnon Station3.1 miles
- Llandybie Station3.2 miles
Notes
Disclaimer - Property reference AXZ240138. The information displayed about this property comprises a property advertisement. Rightmove.co.uk makes no warranty as to the accuracy or completeness of the advertisement or any linked or associated information, and Rightmove has no control over the content. This property advertisement does not constitute property particulars. The information is provided and maintained by John Francis, Ammanford. Please contact the selling agent or developer directly to obtain any information which may be available under the terms of The Energy Performance of Buildings (Certificates and Inspections) (England and Wales) Regulations 2007 or the Home Report if in relation to a residential property in Scotland.
Map data ©OpenStreetMap contributors.








