Plot for sale
Station Road, Patrington, HU12 0NE
- PROPERTY TYPE
Plot
- SIZE
Ask agent
Key features
- Full planning consent granted
- Attractive village location
- Services connected
- Amenities close-by
- Garden
Description
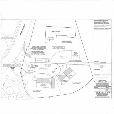
Always dreamed of building your own home? This delightful plot on the edge of Patrington, with access to all the amenities it offers, could well be what you are looking for. Planning permission was granted for two houses on the site and only one was built at the time. With services connected this could be the perfect way of building your own home.
The plot occupies an attractive elevated position at the western end of the village, a short walk from its centre. The village is renowned for its outstanding church with a towering spire and known as the Queen of Holderness, but also for its range of amenities including a primary school, doctor's surgery, pubs and shops. Further amenities are available in Hedon, Hull and Withernsea. With the surrounding charm of the Holderness countryside on your doorstep it is a lovely place to live. The plans have been granted permission and allow for an attractive detached property with 3 bedrooms plus a study and integral garage. There is a driveway leading to the garage and extra parking space accessed via a shared driveway. There is a garden area to the rear which would be south west facing.
LOCATION
Patrington is a historic village located to the east of Hull. It offers excellent local amenities for a village including a primary school, surgery, shops, pubs, petrol forecourt with convenience store and the historic church. Further amenities are available in Withernsea to the east, and Hedon and Hull to the west.
ACCOMMODATION (according to plans)
Entrance Hall
WC Cloaks
Living Room
Kitchen
First Floor Landing
Master Bedroom with dressing room and en suite
2 Further Bedrooms, one with an en suite
Study
Bathroom
Integral garage with store
Parking Space and Driveway
Rear Gardens
PLANNING CONSENT
Full planning permission was granted on 13th April 2007 under Application Number 07/00988/PLF. A copy of the Notice of Decision and approved plans can be found on the East Riding of Yorkshire Council website using the planning public access page and entering the above application number in the search.
SERVICES
We are informed that mains water, electricity, gas and drainage are connected to the plot as the intention was to commence Plot 2 after the completion of Plot 1. Interested parties should make their own enquiries as to the exact location of services and any further costs that may be involved.
TENURE
Freehold, with vacant possession upon completion.
RIGHT OF WAY
There is a shared driveway providing access to Station Road.
VIEWING
Please call the agent's Beverley office. Tel: .
Parking Availability: Yes.
Brochures
Brochure 1Station Road, Patrington, HU12 0NE
NEAREST STATIONS
Distances are straight line measurements from the centre of the postcode- New Clee Station8.0 miles



Notes
Disclaimer - Property reference dah_166861629. The information displayed about this property comprises a property advertisement. Rightmove.co.uk makes no warranty as to the accuracy or completeness of the advertisement or any linked or associated information, and Rightmove has no control over the content. This property advertisement does not constitute property particulars. The information is provided and maintained by Dee Atkinson & Harrison, Beverley. Please contact the selling agent or developer directly to obtain any information which may be available under the terms of The Energy Performance of Buildings (Certificates and Inspections) (England and Wales) Regulations 2007 or the Home Report if in relation to a residential property in Scotland.
Map data ©OpenStreetMap contributors.




