Marine property for sale
Plot 4 Mooring, Norfolk Bank, Puddingmoor, Beccles
- PROPERTY TYPE
Marine Property
- SIZE
Ask agent
Key features
- 35ft Mooring Plot
- River Waveney
- Timber Staging
- Off road car parking
Description
The plot also benefits from vehicular access rights to a private hardcore parking area situated only approximately 200m from the mooring plot. These access and parking rights will be granted to the purchaser under a 75 year lease. Further details below.
The vendor is willing to manage the letting of the plot for the purchaser if required at 20% of the letting fee.
Situation - The mooring plot is situated on the Norfolk bank of the River Waveney in the parish of Gillingham on the opposite side of the river to the market town of Beccles. Beccles is a gateway to the Norfolk Broads, with the River Waveney leading to Lowestoft, Breydon Water, The New Cut and the River Yare.
Description - This offers an opportunity to acquire a freehold mooring plot of approximately 35ft with timber staging on the River Waveney which has recently been upgraded with new timbers.
The plot also benefits from vehicular access rights to a private hardcore parking area situated only approximately 200m from the mooring plot. These access and parking rights will be granted to the purchaser under a 75 year lease. Further details below.
The vendor is willing to manage the letting of the plot for the purchaser if required at 20% of the letting fee.
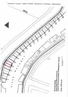
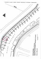
Tenure - The mooring plot is sold freehold and is edged red on the sale plan.
The river wall immediately behind the plot, edged blue on the plan, vehicular and pedestrian access rights plus parking rights are offered leasehold. A copy of the draft lease is available for inspection in the Agents Beccles office. The principal terms are as follows:-
Term - 75 Years, Commencing 22nd December 201 -
Ground Rent - £10 Per Annum - There will be a service charge to cover the hardcoring of the access track and car park owned by the freeholders, plus the grass cutting of the above and the river wall access to the moorings. This will be split equally between the 20 plots using the facilities and it is anticipated this will be in the region of £100 per year.
Services - No services are connected to the plots.
Outgoings - None that we are aware of apart from the ground rent and service charges previously mentioned for the leasehold area.
Vat - Should any sale of the property or any rights attached to it become a chargeable supply for the purpose of VAT such tax shall be payable by the purchaser if levied by Customs & Excise in addition
to any monies to be paid during the course of the sale.
Useful Contact Details - Norfolk County Council, County Hall, Martineau Lane, Norwich, Norfolk, NR1 2DH.
Tel: -
Broads Authority: Yare House, 62-64 Thorpe Ro -
Tel: -
Rights Of Way, Easements And Wayleaves - The River Wall is a registered public footpath.
The property is offered for sale with the benefit of and subject to all rights of way (whether public or private), drainage, wayleaves and other easements that may legally exist or affect the same whether declared or not and also subject to all outgoings or charges connected with the property whether mentioned in these particulars or not.
Directions - From Beccles town centre proceed out via Northgate and turn left onto Gillingham Dam, approximately 200m after the bridge turn left onto the hard gravel track indicated on the plan. Proceed along this track and immediately at the end the car parking area will be found with access onto the River Wall and the plot proceeding in a downstream direction.
Alternatively the property can be accessed via the public footpath running from Geldeston to Gillingham along the river wall.
Viewing - At any reasonable time during daylight hours with a copy of these particulars in hand. Bearing in mind the property is situated adjacent to open water please take care and be vigilant when undertaking your inspection.
Important Notice - Durrants and their clients give notice that: -
No investigations have been made in respect of any matter concerning pollution of the land, air or water and the buyers are responsible for making their own enquiries in this respect.
The measurements, distances and areas are given as approximate. These particulars and photographs are provided for guidance only and are not necessarily comprehensive.
These particulars do not form part of any offer or contract and must not be relied upon as statements or representations of fact. No warranties in relation to the property are given either by the agent or on behalf of their client or otherwise.
The boundaries are based on the Ordnance Survey and are for reference only. The purchaser will be deemed to have full knowledge of the boundaries and any error or mistake shall not annul the sale or entitle any party to compensation in respect thereof.
Health & Safety - Given the potential hazards of open water, we would ask you to be as vigilant as possible when making an inspection for your own safety.
Additional Plots - Please be aware that additional adjacent upstream plots may be available subject to further negotiation. Please contact the agents for further information.
Contact Details -
Nicholas Rudge -
Telephone: Beccles -
E-Mail: Nicholas. -
Brochures
103704-Sale Details Plot 4 - V3.pdfPlot 4 Mooring, Norfolk Bank, Puddingmoor, Beccles
NEAREST STATIONS
Distances are straight line measurements from the centre of the postcode- Beccles Station0.4 miles
- Brampton Station4.5 miles
- Somerleyton Station5.2 miles
Notes
Disclaimer - Property reference 34033012. The information displayed about this property comprises a property advertisement. Rightmove.co.uk makes no warranty as to the accuracy or completeness of the advertisement or any linked or associated information, and Rightmove has no control over the content. This property advertisement does not constitute property particulars. The information is provided and maintained by Durrants, Agricultural. Please contact the selling agent or developer directly to obtain any information which may be available under the terms of The Energy Performance of Buildings (Certificates and Inspections) (England and Wales) Regulations 2007 or the Home Report if in relation to a residential property in Scotland.
Map data ©OpenStreetMap contributors.






