
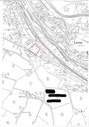
Plot, New Road, Laxey
- PROPERTY TYPE
Land
- SIZE
Ask agent
Key features
- wil conta
Description
DeanWood is delighted to offer for sale this excellent plot of land, extending to approximately two-thirds of an acre, located in the ever-popular village of Laxey.
Set in an elevated position, the plot offers excellent potential for development, with space to accommodate a substantial detached residence. Subject to the necessary planning permissions, the site could make an ideal location for a bespoke family home, enjoying superb views over Laxey village and the surrounding landscape.
Access is available from the road to the rear of the plot, offering convenient entry and flexibility for future development and design.
Mains services will need to be installed, giving prospective buyers the opportunity to create a fully tailored living environment from the ground up.
This is a rare opportunity to acquire a sizeable plot in a sought-after location, with excellent amenities, schools, and transport links nearby.
Brochures
Plot, New Road, LaxeyBrochurePlot, New Road, Laxey
NEAREST STATIONS
Distances are straight line measurements from the centre of the postcode- Nethertown Station37.3 miles
Notes
Disclaimer - Property reference 34017940. The information displayed about this property comprises a property advertisement. Rightmove.co.uk makes no warranty as to the accuracy or completeness of the advertisement or any linked or associated information, and Rightmove has no control over the content. This property advertisement does not constitute property particulars. The information is provided and maintained by Deanwood Estate Agents, Douglas. Please contact the selling agent or developer directly to obtain any information which may be available under the terms of The Energy Performance of Buildings (Certificates and Inspections) (England and Wales) Regulations 2007 or the Home Report if in relation to a residential property in Scotland.
Map data ©OpenStreetMap contributors.




