Industrial development for sale
Enterprise Way, Boston, Lincolnshire, PE21
- SIZE AVAILABLE
10,890 sq ft
1,012 sq m
- SECTOR
Industrial development for sale
Key features
- Valuable plots of land
- Fully fenced and gated
- Outline planning permission granted
- Small business Units
- Each plot has potential for 5 units
- Prime location
- Good access routes
- From £89,000.00 per plot
- 6 plots available
- Each plot approximately .25 of an acre
Description
We are pleased to present an opportunity to acquire fenced and gated land parcels at highly affordable prices. These parcels not only offer a secure and valuable asset but also come with outline planning permission for future development. This makes them a fantastic investment for the years to come.
The site has several plots and each plot is gated and fenced and secured.
Many of the plots come with outline planning permission for small business units of various sizes,
The plots offer excellent opportunity for investors or owner occupiers of businesses create new premises.
Each plot is approximately .25 of an acre however all interested parties to carry out there own measurements.
The site is located close to the Boston Enterprise centre and the Boston National Grid site and also situated close to other businesses.
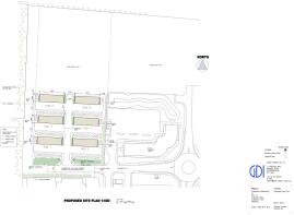
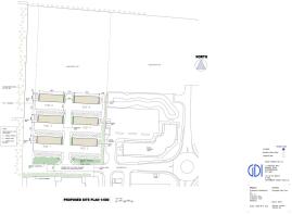
Details of outline planning permission and style of units proposed for build.
Don't miss out on this chance to secure a piece of land with excellent future potential!.
The parcels of land are nt rated and no business rates are payable until developed.
For more details, please contact us at
Enterprise Way, Boston, Lincolnshire, PE21
NEAREST STATIONS
Distances are straight line measurements from the centre of the postcode- Boston Station1.2 miles
- Hubberts Bridge Station2.1 miles
Notes
Disclaimer - Property reference Bost802. The information displayed about this property comprises a property advertisement. Rightmove.co.uk makes no warranty as to the accuracy or completeness of the advertisement or any linked or associated information, and Rightmove has no control over the content. This property advertisement does not constitute property particulars. The information is provided and maintained by BOWDEN PROPERTIES LIMITED, Rutland. Please contact the selling agent or developer directly to obtain any information which may be available under the terms of The Energy Performance of Buildings (Certificates and Inspections) (England and Wales) Regulations 2007 or the Home Report if in relation to a residential property in Scotland.
Map data ©OpenStreetMap contributors.






