near Haverfordwest Pembrokeshire, Haverfordwest
- PROPERTY TYPE
Land
- SIZE
522,720 sq ft
48,562 sq m
Description
*Suitable for grazing or cropping or for equestrian purposes or conservation use.
Situation - The land is situated on the B4329 Haverfordwest to Cardigan roadway close to the Scolton Manor Country Park, in a rural setting some 4-5 miles or so north of Haverfordwest. The land lies within easy reach of the villages of Spittal, Clarbeston Road, Crundale and Poyston Cross.
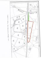
Description - A plan of the land is attached for identification purposes only. The land is approached off the B4329 by virtue of a short green lane, that is subject to a right of way in favour of the owner of the roadside field. This lane opens into the land being sold, which comprises two fields together with natural woodland which is a nice feature providing a degree of natural shelter.
The land is level productive farmland all down to pasture and within a boundary fence which in the main is two strand wire to hedgerows. The boundary to the south is with the railway line.
The land is ideally suited for grazing and cropping whilst the woodland area could perhaps be used for conservation or amenity use.
Services - There are no services connected to the land although there is a small stream in the woodland.
Local authority: Pembrokeshire County Council, County Hall, Haverfordwest, Pembrokeshire. Telephone
General Remarks - The sale of this parcel of land offers a rare opportunity to purchase a conveniently located block of land that has potential for grazing and cropping.
Viewing is highly recommended.
Anti Money Laundering & Ability To Purchase - Please note when making an offer we will require information to enable us to confirm all parties identities as required by Anti Money Laundering (AML) Regulations. We may also conduct a digital search to confirm your identity.
We will also require full proof of funds such as a mortgage agreement in principle, proof of cash deposit or if no mortgage is required, we will require sight of a bank statement. Should the purchase be funded through the sale of another property, we will require confirmation the sale is sufficient enough to cover the purchase.
Broadband Availability - According to the Ofcom website, this property has both standard and ultrafast broadband available, with speeds up to 4mbps upload and 1mbps download and Ultrafast 220 upload and 1800 download. Please note this data was obtained from an online search conducted on ofcom.org.uk and was correct at the time of production.
Some rural areas are yet to have the infrastructure upgraded and there are alternative options which include satellite and mobile broadband available. Prospective buyers should make their own enquiries into the availability of services with their chosen provider.
Mobile Phone Coverage - The Ofcom website states that the property has the following mobile coverage
EE - Variable (outdoor only)
Three - Variable (indoor), Good (outdoor)
O2 - Variable (outdoor only)
Vodafone. - Poor to none.
Results are predictions and not a guarantee. Actual services available may be different from results and may be affected by network outages. Please note this data was obtained from an online search conducted on ofcom.org.uk and was correct at the time of production. Prospective buyers should make their own enquiries into the availability of services with their chosen provider.
Brochures
near Haverfordwest Pembrokeshire, HaverfordwestBrochurenear Haverfordwest Pembrokeshire, Haverfordwest
NEAREST STATIONS
Distances are straight line measurements from the centre of the postcode- Clarbeston Road Station1.6 miles
- Haverfordwest Station4.2 miles
Notes
Disclaimer - Property reference 34067665. The information displayed about this property comprises a property advertisement. Rightmove.co.uk makes no warranty as to the accuracy or completeness of the advertisement or any linked or associated information, and Rightmove has no control over the content. This property advertisement does not constitute property particulars. The information is provided and maintained by JJ Morris, Haverfordwest. Please contact the selling agent or developer directly to obtain any information which may be available under the terms of The Energy Performance of Buildings (Certificates and Inspections) (England and Wales) Regulations 2007 or the Home Report if in relation to a residential property in Scotland.
Map data ©OpenStreetMap contributors.






