Distribution warehouse to lease
Unit 4 Suthers Street, Werneth, Oldham, OL9 7TH
- SIZE AVAILABLE
3,085-11,810 sq ft
287-1,097 sq m
- SECTOR
Distribution warehouse to lease
- USE CLASSUse class orders: B2 General Industrial
B2
Lease details
- Lease available date:
- Now
- Lease type:
- Long term
Key features
- 8,585 Sq.ft Warehouse with 3,225 Sq.ft Mezz
- External loading and parking for 23 vehicles
- Warehouse bay ridge height: 29''/Eaves:26''
- Total of six loading doors for Atric/vans
- Full site articulated lorry accessibility
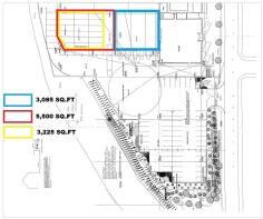
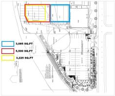
- Can split into 3,085 Sq.ft & 8,725 Sq.ft
- Distribution/fulfilment/MOT bay acceptable
- Located a short drive to J22 M60 Motorway
Description
The property occupies part of a single and two storey industrial estate with articulated lorry entry and exit points and with access to on site loading an parking for 23 vehicles plus visitor parking.
Unit 4 Suthers Street single storey industrial warehouse 11,810 Sq.ft overall comprising:-
Warehouse: 8,585 Sq.ft - 57’9’’ x 148’7’’, Mezzanine: 3,225 Sq.ft - 52’10’’ x 61’0’’ including goods lift.
Providing 5 no. loading doors: 9’0 width x 10’8’’ height plus large door: 13’1’’ width x 14’9’’ height.
Goods lift to Mezz: 1,000 Kgs limit, door: 6’6’’ width x 6’6’’ height. GF-Ridge: 29’, Eaves: 26’8’’, under mezz: 13’.
The property can be sub-divided to provide one unit unit with access to 5 roller shutter loading doors and providing 3,085 Sq.ft and one unit with access to the main large access loading door and providing 5,500 Sq.ft ground floor warehouse spaces and 3,225 Sq.ft additional mezzanine storage accommodation.
Location
The property is located fronting Suthers Street, Oldham a short drive from the A62 Manchester Street, Oldham Way and Junction 22 of the M60 Motorway.
- Stockport: 12 miles.
- Manchester: 8 miles
- Oldham: 1.6 miles.
- M60: 1.5 miles.
Rateable Value
Rateable value: £TBC - Whole site RV to be split.
Small Business Rates Multiplier 2024/25: 49.9p.
Interested parties are advised to make their own
enquiries with OMBC - .
Terms
The property is available on a new effective full repairing & insuring Sub-Lease for a minimum 5 year term.
Rent
Whole unit: £70,000 per annum exclusive plus VAT.
3,085 Sq.ft: £30,000 per annum exclusive plus VAT.
8,725 Sq.ft: £65,000 per annum exclusive plus VAT.
VAT
All figures are quoted exclusive of Value Added Taxation. We understand that VAT is payable at the property.
Service Charge
The Landlord may levy a service charge payable in full by the prospective Tenant. Details available from MBRE.
Utilities
Mains services are available including electricity, water and drainage. Electricity to be sub-metered by Landlord.
Buildings Insurance
The Landlord will insure the building and recharge the premium to the Tenant. Details from MBRE.
Legal Costs
The Tenant will be responsible for the Landlords legal costs associated with the new Lease.
Brochures
Unit 4 Suthers Street, Werneth, Oldham, OL9 7TH
NEAREST STATIONS
Distances are straight line measurements from the centre of the postcode- Westwood Tram Stop0.4 miles
- Oldham Mumps Station1.3 miles
- Hollinwood Station1.4 miles
Notes
Disclaimer - Property reference 273335-2. The information displayed about this property comprises a property advertisement. Rightmove.co.uk makes no warranty as to the accuracy or completeness of the advertisement or any linked or associated information, and Rightmove has no control over the content. This property advertisement does not constitute property particulars. The information is provided and maintained by MBRE, Stockport. Please contact the selling agent or developer directly to obtain any information which may be available under the terms of The Energy Performance of Buildings (Certificates and Inspections) (England and Wales) Regulations 2007 or the Home Report if in relation to a residential property in Scotland.
Map data ©OpenStreetMap contributors.





