Marlborough Buildings, Bath
- PROPERTY TYPE
Land
- SIZE
Ask agent
Key features
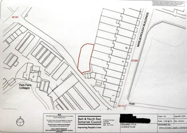
- Plot of Land behind Marlborough Buildings, Bath
- Garden use only
- No vehicular access
- Fantastic central position
- Amazing opportunity
Description
SUMMARY
Located in a central position of Bath City Centre, this amazing opportunity to secure your own little piece of paradise. Accessible via Cow Lane, directly behind the Marlborough Building is a good size plot of land for garden use only.
DESCRIPTION
Tucked away behind the elegant Marlborough Buildings, just off Cow Lane lies a rare opportunity to purchase a private plot of land in central Bath.
This enclosed space, bordered by attractive stone walls, is designated for use as a garden only. Building is not permitted, and there is no vehicle access. Ideal for those seeking a quiet outdoor area to enjoy or cultivate.
A peaceful, tucked-away spot in one of Bath’s most desirable areas — perfect for creating your own green retreat. Whether you're a green-fingered enthusiast or dreaming of a private sanctuary, this plot invites you to create something magical, step through the gate and discover the blank canvas for your own secret garden.
1. MONEY LAUNDERING REGULATIONS: Intending purchasers will be asked to produce identification documentation at a later stage and we would ask for your co-operation in order that there will be no delay in agreeing the sale.
2. General: While we endeavour to make our sales particulars fair, accurate and reliable, they are only a general guide to the property and, accordingly, if there is any point which is of particular importance to you, please contact the office and we will be pleased to check the position for you, especially if you are contemplating travelling some distance to view the property.
3. The measurements indicated are supplied for guidance only and as such must be considered incorrect.
4. Services: Please note we have not tested the services or any of the equipment or appliances in this property, accordingly we strongly advise prospective buyers to commission their own survey or service reports before finalising their offer to purchase.
5. THESE PARTICULARS ARE ISSUED IN GOOD FAITH BUT DO NOT CONSTITUTE REPRESENTATIONS OF FACT OR FORM PART OF ANY OFFER OR CONTRACT. THE MATTERS REFERRED TO IN THESE PARTICULARS SHOULD BE INDEPENDENTLY VERIFIED BY PROSPECTIVE BUYERS OR TENANTS. NEITHER SEQUENCE (UK) LIMITED NOR ANY OF ITS EMPLOYEES OR AGENTS HAS ANY AUTHORITY TO MAKE OR GIVE ANY REPRESENTATION OR WARRANTY WHATEVER IN RELATION TO THIS PROPERTY.
Brochures
PDF Property ParticularsFull DetailsMarlborough Buildings, Bath
NEAREST STATIONS
Distances are straight line measurements from the centre of the postcode- Oldfield Park Station0.7 miles
- Bath Spa Station0.8 miles
- Freshford Station4.3 miles
Notes
Disclaimer - Property reference BAT110457. The information displayed about this property comprises a property advertisement. Rightmove.co.uk makes no warranty as to the accuracy or completeness of the advertisement or any linked or associated information, and Rightmove has no control over the content. This property advertisement does not constitute property particulars. The information is provided and maintained by Allen & Harris, Bath. Please contact the selling agent or developer directly to obtain any information which may be available under the terms of The Energy Performance of Buildings (Certificates and Inspections) (England and Wales) Regulations 2007 or the Home Report if in relation to a residential property in Scotland.
Map data ©OpenStreetMap contributors.








