Plot for sale
Kirkmaiden, Drummore, DG9
- PROPERTY TYPE
Plot
- SIZE
Ask agent
Key features
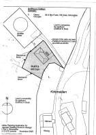
- A development opportunity located in the popular hamlet of Kirkmaiden
- From the site there are views over farmland to Luce Bay
- Previous planning permission for the construction of a residential dwelling
- Could be used as amenity land
Description
An opportunity has arisen to acquire a development site located in the charming hamlet of Kirkmaiden, only a couple of miles from Scotland's most southerly village of Drummore. From the site there are views over picturesque farmland to the waters of Luce Bay.
This unique parcel of land, with previous planning permission for the construction of a residential dwelling, presents a chance for those with a vision to create a home in this setting. The site would also lend itself to amenity land, ideal for storage or the construction of a commercial building, subject to local authority approval. Previous planning reference 05/P/1/0296, granted in 2005.
Brochures
Property BrochureKirkmaiden, Drummore, DG9
NEAREST STATIONS
Distances are straight line measurements from the centre of the postcode- Stranraer Station15.7 miles

Notes
Disclaimer - Property reference f769ca40-8c9f-49a5-86b7-cf8e87a57512. The information displayed about this property comprises a property advertisement. Rightmove.co.uk makes no warranty as to the accuracy or completeness of the advertisement or any linked or associated information, and Rightmove has no control over the content. This property advertisement does not constitute property particulars. The information is provided and maintained by South West Property Centre, Stranraer. Please contact the selling agent or developer directly to obtain any information which may be available under the terms of The Energy Performance of Buildings (Certificates and Inspections) (England and Wales) Regulations 2007 or the Home Report if in relation to a residential property in Scotland.
Map data ©OpenStreetMap contributors.





