Tedder Way, Cambridge CB4 3
- PROPERTY TYPE
Land
- SIZE
5,227 sq ft
486 sq m
Key features
- Residential Development Plot
- Full Planning Permission Granted
- Planning Ref: 22/00440/FUL
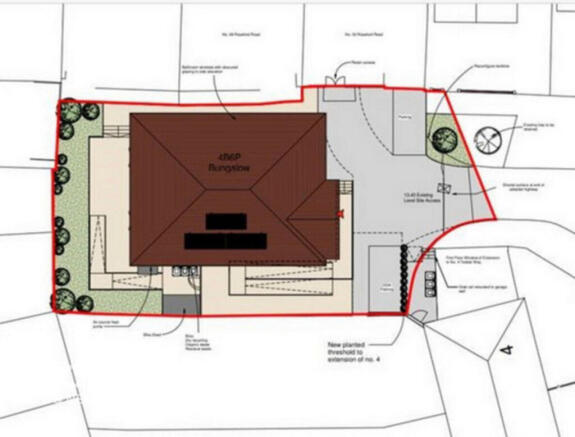
- Detached Bungalow - approx. GIA 132sqm / 1420sqft
- Planning Permission Expires January 2026
- Contact Anthony From The Spicerhaart Land Department
Description
The site benefits from full planning permission for a detached, single storey, approx. 132sqm / 1420sqft, four bedroom, two bathroom bungalow with off street parking. Planning reference: 22/00440/FUL under Cambridge City Council. Community Infrastructure Levy (CIL) is applicable to the scheme and we've been advised by the sellers there are no Section 106 or BNG contributions applicable. We advise interested parties verify this for themselves. Planning Permission is due to expire in January 2026.
The site is situated within an increasingly popular part of the city due to its close proximity to the guided bus, Citi1 bus stops, Cambridge Science Park and Cambridge North Train Station, along with nearby access to the A14 which connects to the M11 and A11.
The freehold interest in the site is being offered for sale on an unconditional basis. All interested parties should contact Anthony from the Spicerhaart Land Department for further details.
N.B. These particulars have been prepared in good faith and are believed to be correct. The plans and areas have been prepared from the Ordnance Survey Map and are similarly believed to be correct. Both are published for identification purposes only and prospective purchasers should satisfy themselves as to their accuracy. Prospective purchasers are advised that neither the seller, their agents, nor solicitors bind themselves to accept the highest of any offer submitted.
Disclaimer
haart Estate Agents also offer a professional, ARLA accredited Lettings and Management Service. If you are considering renting your property in order to purchase, are looking at buy to let or would like a free review of your current portfolio then please call the Lettings Branch Manager on the number shown above.
haart Estate Agents is the seller's agent for this property. Your conveyancer is legally responsible for ensuring any purchase agreement fully protects your position. We make detailed enquiries of the seller to ensure the information provided is as accurate as possible. Please inform us if you become aware of any information being inaccurate.
Disclaimer
haart Estate Agents also offer a professional, ARLA accredited Lettings and Management Service. If you are considering renting your property in order to purchase, are looking at buy to let or would like a free review of your current portfolio then please call the Lettings Branch Manager on the number shown above.
haart Estate Agents is the seller's agent for this property. Your conveyancer is legally responsible for ensuring any purchase agreement fully protects your position. We make detailed enquiries of the seller to ensure the information provided is as accurate as possible. Please inform us if you become aware of any information being inaccurate.
Brochures
BrochureTedder Way, Cambridge CB4 3
NEAREST STATIONS
Distances are straight line measurements from the centre of the postcode- Cambridge North1.9 miles
- Cambridge Station2.4 miles
- Waterbeach Station4.3 miles
Notes
Disclaimer - Property reference 9927_HRT992700101. The information displayed about this property comprises a property advertisement. Rightmove.co.uk makes no warranty as to the accuracy or completeness of the advertisement or any linked or associated information, and Rightmove has no control over the content. This property advertisement does not constitute property particulars. The information is provided and maintained by Spicerhaart Land, covering North England. Please contact the selling agent or developer directly to obtain any information which may be available under the terms of The Energy Performance of Buildings (Certificates and Inspections) (England and Wales) Regulations 2007 or the Home Report if in relation to a residential property in Scotland.
Map data ©OpenStreetMap contributors.





