Residential development for sale
Land at Green Park Avenue, Bilston, Wolverhampton, West Midlands, WV14
- SIZE AVAILABLE
17,424 sq ft
1,619 sq m
- SECTOR
Residential development for sale
Key features
- Prominent Development Site with Planning
- Situated in well-established residential area
- Extending to 0.4 acres (0.16 hectares)
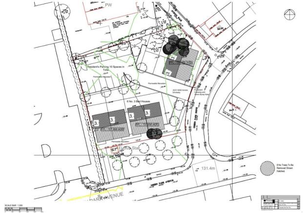
- Planning for 6 semi-detached 3(no) bedroom houses
- Offers are invited in the region of £325,000 for the Freehold
Description
Planning permission has been granted by Wolverhampton City Council for the construction of six semi-detached, three-bedroom dwellings, together with associated parking and landscaping to the rear of the site.
The site benefits from convenient access to local amenities and transport links. Bilston Town Centre lies approximately 1.9 miles away, offering a range of shops, services, and public transport connections, while Wolverhampton City Centre is situated around 2.9 miles to the north-west.
To the rear of the site lies Stowlawn Greens and Stowlawn Primary School, providing a pleasant setting with green space and educational facilities nearby. The surrounding area comprises a mix of residential properties, making it a desirable location for family housing.
Brochures
Land at Green Park Avenue, Bilston, Wolverhampton, West Midlands, WV14
NEAREST STATIONS
Distances are straight line measurements from the centre of the postcode- Priestfield Tram Stop0.6 miles
- The Crescent Tram Stop0.6 miles
- Bilston Central Tram Stop0.9 miles
Notes
Disclaimer - Property reference GreenParkAvenueLand. The information displayed about this property comprises a property advertisement. Rightmove.co.uk makes no warranty as to the accuracy or completeness of the advertisement or any linked or associated information, and Rightmove has no control over the content. This property advertisement does not constitute property particulars. The information is provided and maintained by Towler Shaw Roberts, Wolverhampton. Please contact the selling agent or developer directly to obtain any information which may be available under the terms of The Energy Performance of Buildings (Certificates and Inspections) (England and Wales) Regulations 2007 or the Home Report if in relation to a residential property in Scotland.
Map data ©OpenStreetMap contributors.




