
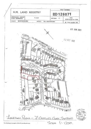
Plot to the rear of 7 Castles Close Stotfold Hitchin SG5 4BY
- PROPERTY TYPE
Land
- SIZE
Ask agent
Key features
- Rarely available Building Plot
- Planning permission for a detached 2 bedroom bungalow
- Quiet, cul-de-sac location
- Ideal for a small local builder
Description
Insight:
A rarely available single building plot with planning permission for a two-bedroom detached bungalow (CB/22/03992/FULL).
Ideal for a small local builder!
The plot at its longest and widest point measures approximately 25.7 metres by 19.5 metres.
The plot currently forms part of the garden for a residential property, so viewing is strictly by appointment.
Location:
Stotfold is a family-friendly town with plenty to offer, including well-regarded schools such as St Mary’s CofE Academy and Etonbury Academy. Stotfold also has a library, local Co Op, post office, pubs, cafes and green spaces, including Greenacre Park and Fairfield Park. The Stotfold Mill Meadows nature reserve and its walking trails provides a wonderful place for families to enjoy the outdoors and spot wildlife, while the historic Stotfold Watermill hosts events such as the Stotfold Steam Fair and annual open days. You’re also only a few minutes away from the historic market town of Hitchin with its cosmopolitan town centre and wealth of restaurants, bars and boutiques.
These particulars are intended to give a fair and reliable description of the plot but no responsibility for any inaccuracy or error can be accepted and do not constitute an offer or contract. All measurements are approximate.
EPC Rating: D
Plot to the rear of 7 Castles Close Stotfold Hitchin SG5 4BY
NEAREST STATIONS
Distances are straight line measurements from the centre of the postcode- Arlesey Station1.6 miles
- Baldock Station2.7 miles
- Letchworth Station2.9 miles
Notes
Disclaimer - Property reference 71b3889f-f9f0-44c2-9150-2202411dfa9a. The information displayed about this property comprises a property advertisement. Rightmove.co.uk makes no warranty as to the accuracy or completeness of the advertisement or any linked or associated information, and Rightmove has no control over the content. This property advertisement does not constitute property particulars. The information is provided and maintained by Wellington Evans, Hitchin. Please contact the selling agent or developer directly to obtain any information which may be available under the terms of The Energy Performance of Buildings (Certificates and Inspections) (England and Wales) Regulations 2007 or the Home Report if in relation to a residential property in Scotland.
Map data ©OpenStreetMap contributors.






