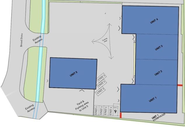
Denham Court, Brunel Drive, Newark, NG24 2EG
- SIZE AVAILABLE
3,662-23,257 sq ft
340-2,161 sq m
- SECTOR
Warehouse to lease
Lease details
- Lease available date:
- Now
- Lease type:
- Long term
Key features
- Newly refurbished units TO LET
- Options from approx. 3,000 sq ft to 23,000 sq ft (including mezzanines)
- Internal clear height of 4.25m to eaves and 8m to apex
- Set within a secure yard with gated access off Brunel Drive
- Key strategic position with easy access to A1, A17 and A46
- Established employment area
- 3 phase power and dedicated service yard
- 1.2 acre (0.5 ha) site with low site density
Description
Each unit is equipped with an electrically operated roller shutter door and has recently undergone refurbishment, providing; lighting, mezzanines, ancillary offices, newly decorated internally and externally, gas to site, three phase electricity and ample external areas.
The property occupies a prominent trade-retail position with frontage on Brunel Drive, the principal spine road linking the A1/A17/A46 junction with Northern Road Industrial Estate. Neighbouring occupiers including Howdens, Magnet, Screwfix, ATS and Travis Perkins, to name but a few.
Each unit is available TO LET either individually or collectively on new Effective Full Repairing and Insuring Terms.
A service charge will be payable for the upkeep and maintenance of the communal areas; the amount and full details can be provided to any interested party.
The property was previously occupied as a whole and will be re-assessed at the time lettings are agreed.
VAT will be charged in addition to the rent.
Energy Performance Certificates
EPCEPCBrochures
Denham Court, Brunel Drive, Newark, NG24 2EG
NEAREST STATIONS
Distances are straight line measurements from the centre of the postcode- Newark North Gate Station0.6 miles
- Newark Castle Station1.2 miles
- Collingham Station4.4 miles
Notes
Disclaimer - Property reference 337749-2. The information displayed about this property comprises a property advertisement. Rightmove.co.uk makes no warranty as to the accuracy or completeness of the advertisement or any linked or associated information, and Rightmove has no control over the content. This property advertisement does not constitute property particulars. The information is provided and maintained by Wood Moore & Co Ltd, Newark. Please contact the selling agent or developer directly to obtain any information which may be available under the terms of The Energy Performance of Buildings (Certificates and Inspections) (England and Wales) Regulations 2007 or the Home Report if in relation to a residential property in Scotland.
Map data ©OpenStreetMap contributors.





