Allotment Plot - Pioneer Avenue, Desborough, Kettering
- PROPERTY TYPE
Land
- SIZE
Ask agent
Key features
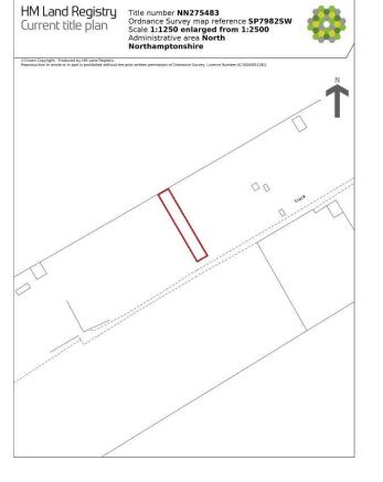
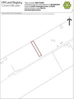
- Allotment land Title number NN275483
- Ordnance Survey map reference SP7982SW with c.29' (8.84m) frontage
- ALL offers are required in writing via the 'Tender Form' by 12 noon Tuesday 23 December 2025
Description
The allotment land has the title number NN275483 and is referenced on the Ordnance Survey map as SP7982SW, featuring an approximate 29' (8.84-meter) frontage. Accessed via a communal gate located at the top end of Pioneer Avenue, Desborough, NN14 2PA. For further details, please refer to the attached Land Registry Plan and location guide. Approx. location can be found using what3words App: notch.pancakes.episode.
Please note that the plot has limited access due to overgrowth, and no services are currently connected. Location markers are provided for guidance only
Brochures
Allotment Plot - Pioneer Avenue, Desborough, KetteBrochureAllotment Plot - Pioneer Avenue, Desborough, Kettering
NEAREST STATIONS
Distances are straight line measurements from the centre of the postcode- Market Harborough Station4.6 miles
- Kettering Station5.0 miles
Notes
Disclaimer - Property reference 34338514. The information displayed about this property comprises a property advertisement. Rightmove.co.uk makes no warranty as to the accuracy or completeness of the advertisement or any linked or associated information, and Rightmove has no control over the content. This property advertisement does not constitute property particulars. The information is provided and maintained by Simon & Co, Rothwell. Please contact the selling agent or developer directly to obtain any information which may be available under the terms of The Energy Performance of Buildings (Certificates and Inspections) (England and Wales) Regulations 2007 or the Home Report if in relation to a residential property in Scotland.
Map data ©OpenStreetMap contributors.









