Land for sale
Silver Glen, Church Lane, Ripe, Lewes, East Sussex, BN8 6AU
- PROPERTY TYPE
Land
- SIZE
10,890 sq ft
1,012 sq m
Key features
- FOR SALE BY CONNECT UK AUCTIONS
- Auction Date: Tuesday 20th January 2026
- Circa 0.25 Acres / 1,012 Square Metres / 10,890 Square Feet
- Vacant Possession
- Road Frontage
- Freehold
- Excellent Location
- Vehicle Access / Right of Way off Church Lane
- Future potential for various development, subject to all necessary consents
- Purchasers considering further development potential are deemed to rely on their own enquiries
Description
Silver Glen, Church Lane. Circa 0.25 Acres, Freehold Land in an Excellent Location with Road Frontage. Future potential for various development, subject to all necessary consents. Prospective purchasers must rely solely on their own enquiries.
ACCOMMODATION:
Circa 0.25 Acres / 1,012 Square Metres / 10,890 Square Feet
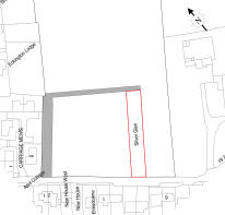
Dimensions Circa 75 Metres x 15 Metres
Vehicle Access / Right of Way off Church Lane
what3words: ///sigh.rainbow.bypasses
LOCATION:
Ripe is a charming village nestled in the heart of East Sussex, England. Surrounded by rolling hills and open fields, it captures the essence of the Sussex countryside. Known for its picturesque scenery, Ripe attracts visitors seeking the tranquillity and beauty of rural England. The village is also rich in history, featuring several notable buildings such as a 12th-century church and a 16th-century manor house.
TENURE:
Freehold.
AUCTION DATE:
Connect Realtime® Bidding commences at 12pm with closing bids at 1pm, Tuesday 20th January 2026.
The Lot is for sale via Traditional Auction. This is a timed auction, which requires both parties to complete the transaction within the completion date as per the auction legal pack. The buyer, is required to register, with Connect UK Land Auctions, in order to participate and will be required to go through, identification verification process. The auction Legal Pack, is available by request. You are required to complete your own due diligence prior to bidding. The Lot is subject to an undisclosed Reserve Price. The Reserve Price and Starting Bid being subject to change.
UNCONDITIONAL LOT:
Auction Fees apply, upon the fall of the gavel, as per the auction legal pack. The purchaser is legally bound to buy and the vendor is legally bound to sell the Property/Lot. The auction conditions require a full legal completion 28 or 42 days following the day of auction (unless otherwise stated in the legal pack). Delayed completion available, please request further details if required.
DISCLAIMER:
*Connect UK Auctions does not warrant or accept any responsibility for the accuracy or completeness of the property descriptions or related information provided here and they do not constitute property particulars. All displayed property boundaries use data provided by Land Registry and is assumed to be correct and updated regularly. However for the avoidance of doubt all displayed property boundaries are indicative and for marketing purposes only.
Silver Glen, Church Lane, Ripe, Lewes, East Sussex, BN8 6AU
NEAREST STATIONS
Distances are straight line measurements from the centre of the postcode- Berwick Station2.2 miles
- Glynde Station3.5 miles
- Polegate Station5.4 miles
Notes
Disclaimer - Property reference BZR-27552590. The information displayed about this property comprises a property advertisement. Rightmove.co.uk makes no warranty as to the accuracy or completeness of the advertisement or any linked or associated information, and Rightmove has no control over the content. This property advertisement does not constitute property particulars. The information is provided and maintained by Connect-UK, Head Office - Crawley. Please contact the selling agent or developer directly to obtain any information which may be available under the terms of The Energy Performance of Buildings (Certificates and Inspections) (England and Wales) Regulations 2007 or the Home Report if in relation to a residential property in Scotland.
Auction Fees: The purchase of this property may include associated fees not listed here, as it is to be sold via auction. To find out more about the fees associated with this property please call Connect-UK, Head Office - Crawley on 01202 145416.
*Guide Price: An indication of a seller's minimum expectation at auction and given as a Guide Price or a range of Guide Prices. This is not necessarily the figure a property will sell for and is subject to change prior to the auction.
Reserve Price: Each auction property will be subject to a Reserve Price below which the property cannot be sold at auction. Normally the Reserve Price will be set within the range of Guide Prices or no more than 10% above a single Guide Price.
Map data ©OpenStreetMap contributors.





