Snelsmoor Lane, Chellaston, DERBY
- PROPERTY TYPE
Land
- SIZE
Ask agent
Key features
- AUCTION SALE
- 10 March 2026
- EPC Rating - Exempt
Description
SUMMARY
AUCTION SALE 10 March 2026 - • Great plot close to old Chellaston Village
• Sought after location on the edge of Derby
• Some work already started.
DESCRIPTION
GUIDE PRICE: £115,000
AUCTION DATE: TUESDAY 10th March 2026
BIDDER REGISTRATION: BY 2pm MONDAY 9th March 2026
WHERE TO BID: Please ensure you are registered to bid on the Barnard Marcus Auctions website.
LEGAL PACK: Download from Barnard Marcus Auctions
Description
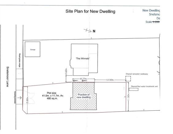
Excellent development opportunity on the edge of Chellaston village with access to Chellaston and Alvaston which links to the A50 bypass. The site which formed part of the former gardens to The Winnats has had planning permission granted by appeal under reference C1055/W/15/3136408 for the erection of a single storey dwelling house (original outline application DER/11/14/01569) with reserved matters application decision 09/18/1405. Work has been undertaken to remove some of the outbuilding and installation of foundations. Interested parties need to satisfy themselves that any work completed is inline planning permission and building regulation. One useful storage building still in situ. Chellaston has arrange of amenities including schooling, shops, bus services. Please note the vehicle access at the present time serves the Winnats as well as the plot.
Accommodation
The accommodation once completed will consist of
Ground Floor: Entrance hall, Lounge, dining room/kitchen, utility room, master bedroom with ensuite shower room/w.c. bedroom two, bathroom/w.c.
First Floor: Mezzanine floor with study area, potential for other user subject to regulation, roof storage area.
External: Gardens to front and rear, along with off road parking.
Broadband: fibre show as available at a neighbouring property
Mobile Coverage: EE, Three, O2 and Vodafone show as available a neighbouring property
EPC:
Not Required
Council Tax Band:
N/A
Tenure:
Viewings:
External only. Bagshaws Residential Tel: option 3 Email: By arrangement with the auctioneers - please see important advice for viewers on page 19 of this catalogue
FOR SALE VIA THE MIDLANDS AUCTION CENTRE IN ASSOCIATION WITH BARNARD MARCUS AUCTIONS TUESDAY 10th March 2026 AT 9.30AM AT THE DE VERE GRAND CONNAUGHT ROOMS, 61-65 GREAT QUEEN STREET, COVENT GARDENS, LONDON WC2B 5DA. YOU CAN ALSO REGISTER FOR ONLINE BIDDING.
CONDITIONS OF SALE
The Conditions of Sale will be deposited at the offices of the auctioneers and vendor’s solicitors seven days prior to sale and the purchaser shall be deemed to have knowledge of the same whether inspected or not. Any questions relating to them must be raised prior to the auction. Prospective purchasers are advised to check with the auctioneers before the sale that the property is neither sold nor withdrawn. The purchaser will also be deemed to have read and understood the auction conduct notes printed within the sale catalogue.
Health & Safety Advice for Property Viewers.
Whilst the auctioneers make every effort to ensure the safety and security of viewers at lots, we have not carried out a detailed Health & Safety inspection of the lots in our auction and cannot therefore guarantee the safety and security of viewers. All persons attend properties entirely at their own risk. Particular care should be taken when accessing cellars, attics, exterior grounds, outbuildings and boundaries. All unaccompanied inspections of vacant sites should be made in daylight hours only and entry into such sites is entirely at the viewers’ risk.
*Guide and Reserve Prices
Guide Price: An indication of the seller's current minimum acceptable price at auction. The guide price or range of guide prices is given to assist consumers in deciding whether or not to pursue a purchase. It is usual, but not always the case that a provisional reserve range is agreed between the seller and the auctioneer at the start of marketing. As the reserve is not fixed at this stage and can be adjusted by the seller at any time up to the day of the auction in the light of interest shown during the marketing period, a guide price is issued. This guide price can be shown in the form of a minimum and maximum price range within which an acceptable sale price (reserve) would fall, or as a single price figure within 10% of which the minimum acceptable price (reserve) would fall. A guide price is different to a reserve price (see separate definition). Both the guide price and the reserve price can be subject to change up to and including the day of the auction.
NOTE
The auctioneers offer four ways to bid including internet, telephone, proxy, and live room bidding. Prospective purchasers will need to register to bid and pay a holding deposit before the sale commences by registering at Barnard Marcus Auctions website. We do not take credit card or cash deposits. The sale of each lot is subject to a documentation charge of £1,500 (including vat) payable on the fall of the hammer.
Guidance notes are set out in the catalogue in relation to auction lots, particularly from a purchasing perspective.
1. MONEY LAUNDERING REGULATIONS: Intending purchasers will be asked to produce identification documentation at a later stage and we would ask for your co-operation in order that there will be no delay in agreeing the sale.
2. General: While we endeavour to make our sales particulars fair, accurate and reliable, they are only a general guide to the property and, accordingly, if there is any point which is of particular importance to you, please contact the office and we will be pleased to check the position for you, especially if you are contemplating travelling some distance to view the property.
3. Photographs and Measurements: Some images may have been taken by a wide angled lens camera. These approximate room sizes are only intended as general guidance. You must verify the dimensions carefully before ordering carpets or any built-in furniture.
4. Services: Please note we have not tested the services or any of the equipment or appliances in this property, accordingly we strongly advise prospective buyers to commission their own survey or service reports before finalising their offer to purchase.
5. THESE PARTICULARS ARE ISSUED IN GOOD FAITH BUT DO NOT CONSTITUTE REPRESENTATIONS OF FACT OR FORM PART OF ANY OFFER OR CONTRACT. THE MATTERS REFERRED TO IN THESE PARTICULARS SHOULD BE INDEPENDENTLY VERIFIED BY PROSPECTIVE BUYERS OR TENANTS. NEITHER SEQUENCE (UK) LIMITED NOR ANY OF ITS EMPLOYEES OR AGENTS HAS ANY AUTHORITY TO MAKE OR GIVE ANY REPRESENTATION OR WARRANTY WHATEVER IN RELATION TO THIS PROPERTY.
Brochures
Full DetailsSnelsmoor Lane, Chellaston, DERBY
NEAREST STATIONS
Distances are straight line measurements from the centre of the postcode- Spondon Station2.7 miles
- Peartree Station2.7 miles
- Derby Station3.4 miles
Notes
Disclaimer - Property reference AUC0050304. The information displayed about this property comprises a property advertisement. Rightmove.co.uk makes no warranty as to the accuracy or completeness of the advertisement or any linked or associated information, and Rightmove has no control over the content. This property advertisement does not constitute property particulars. The information is provided and maintained by Bagshaws Residential, Derby Auctions. Please contact the selling agent or developer directly to obtain any information which may be available under the terms of The Energy Performance of Buildings (Certificates and Inspections) (England and Wales) Regulations 2007 or the Home Report if in relation to a residential property in Scotland.
Auction Fees: The purchase of this property may include associated fees not listed here, as it is to be sold via auction. To find out more about the fees associated with this property please call Bagshaws Residential, Derby Auctions on 01332 215613.
*Guide Price: An indication of a seller's minimum expectation at auction and given as a Guide Price or a range of Guide Prices. This is not necessarily the figure a property will sell for and is subject to change prior to the auction.
Reserve Price: Each auction property will be subject to a Reserve Price below which the property cannot be sold at auction. Normally the Reserve Price will be set within the range of Guide Prices or no more than 10% above a single Guide Price.
Map data ©OpenStreetMap contributors.







