
Great North Road, Graveley, Hitchin, Hertfordshire, SG4
- PROPERTY TYPE
Plot
- SIZE
Ask agent
Key features
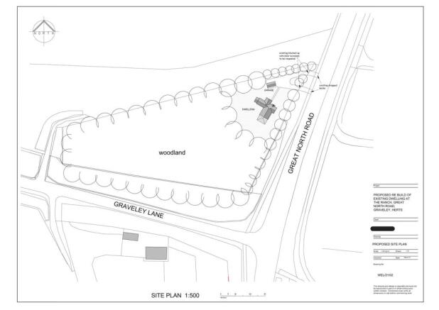
- A rare opportunity to buy a plot of land
- About 1.966 acres
- Possibility of creating one residential unit (STPP)
- Planning ref: 23/02604/FP, granted 26/01/2024
- Open to offers
Description
Description
A rare opportunity to build your own property. This substantial plot has planning consent for the erection of a detached 3-bed dwelling and detached single garage following demolition of existing derelict dwelling.
Full planning information can be viewed on the North Herts planning portal. Planning ref: 23/02604/FP
Permission granted 26/01/2024 as a renewal of previously approved planning permission).
We invite offers with a guide price of £375,000 for the freehold interest.
Viewings are strictly by appointment, please contact Savills on or email us at
Location
Stevenage Station 2.5 miles (Kings Cross from 25 minutes)
Hitchin 4.3 miles
Letchworth 4.3 miles
A1M (J8) 1 mile
Welwyn Garden City 10.7 miles
London Luton Airport 12.7 miles
The village has two public houses the 'George and Dragon' and the 'Waggon and Horses', Graveley also has an eye-catching and typically English village pond. St Mary's church, which dates to the 12th Century, is situated on the outskirts of the village to the east.
There is a small village primary school, whilst further afield, education is available at nearby Kingshott Preparatory School with a choice of fine schools in Hitchin, Letchworth,Cambridge and Bedford.
The A1M provides access to the motorway network via the M25 (J23), which is just over 18 miles away.
The neighbouring town of Stevenage, comprising New and Old Towns, offers comprehensive shopping facilities, schools for all age groups, a leisure complex, theatre and arts centre and a mainline railway station with fast, regular trains to London Kings Cross and the north.
The elegant Georgian town of Hitchin provides attractive boutique style shops and eateries
Acreage: 1.96 Acres
Brochures
Web DetailsParticularsGreat North Road, Graveley, Hitchin, Hertfordshire, SG4
NEAREST STATIONS
Distances are straight line measurements from the centre of the postcode- Hitchin Station2.4 miles
- Letchworth Station2.9 miles
- Stevenage Station2.6 miles
Notes
Disclaimer - Property reference HRS250383. The information displayed about this property comprises a property advertisement. Rightmove.co.uk makes no warranty as to the accuracy or completeness of the advertisement or any linked or associated information, and Rightmove has no control over the content. This property advertisement does not constitute property particulars. The information is provided and maintained by Savills, Harpenden. Please contact the selling agent or developer directly to obtain any information which may be available under the terms of The Energy Performance of Buildings (Certificates and Inspections) (England and Wales) Regulations 2007 or the Home Report if in relation to a residential property in Scotland.
Map data ©OpenStreetMap contributors.





