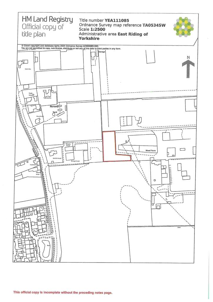
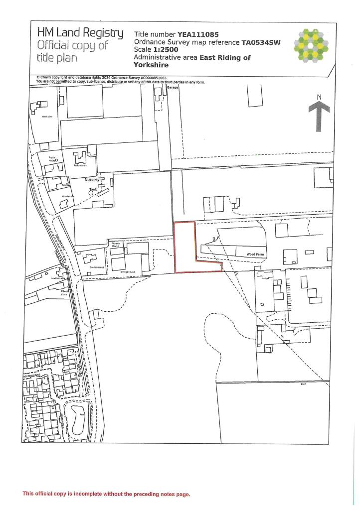
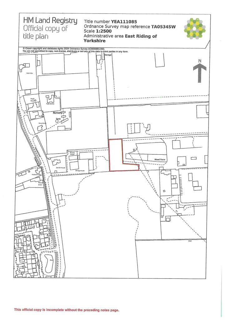
Land To The Rear Of Cherry Trees North Moor Lane, Cottingham, HU16 4JH
Size
0.8000
Lease length
Ask agent
EPC
Ask agent
Parking
Ask agent
- Price per
- Primary use
- Land
No floor / site plan
Key features
- Suitable for a variety of uses
- Short term deals prefered
- Immediately available
Description
The available land is situated to the rear of Cherry Trees on the west side of North Moor Lane. North Moor Lane is situated to the north east of the centre of Cottingham and runs parallel with Dunswell Road. This is a mixed use area providing residential properties, commercial uses including light industrial, plant yard and storage and agricultural land.
- Let type
- Ask agent
- Let contract length
- Ask agent
- Status
- Available
- Date available
- 10 March 2025
- Service charge
- Ask agent
- Business rates
- Ask agent
- Use class
- Ask agent
An Energy Performance certificate helps you understand the current energy efficiency of a property.
Read more about EPC requirementsAsk agent
- BREEAM rating
- Ask agent
- Environmental description
- Ask agent
Brochure
Land To The Rear Of Cherry Trees North Moor Lane, Cottingham, HU16 4JH
Your search history
You have no recent searches
Disclaimer - Property reference 288745-2. The information displayed about this property comprises a property advertisement. Rightmove.co.uk makes no warranty as to the accuracy or completeness of the advertisement or any linked or associated information, and Rightmove has no control over the content. This property advertisement does not constitute property particulars. The information is provided and maintained by Sanderson Weatherall, Humber. Please contact the selling agent or developer directly to obtain any information which may be available under the terms of The Energy Performance of Buildings (Certificates and Inspections) (England and Wales) Regulations 2007 or the Home Report if in relation to a residential property in Scotland.





