Foundry Road, Swansea, SA6 8DU
Size
Ask agent
Tenure
Leasehold
EPC
Ask agent
Parking
Ask agent
- Primary use
- Commercial development
Building amenities
Additional costs may apply for some services – please check the full property description for more details.
- Parking
- Transport links
- Well connected
Key features
- Prime Drive‑Thru Location
- Planning Permission Secured
- Pre‑Agreed Lease to Starbucks Franchisee
- Strong Tenant Covenant
- New 999 Year Long Leasehold
Description
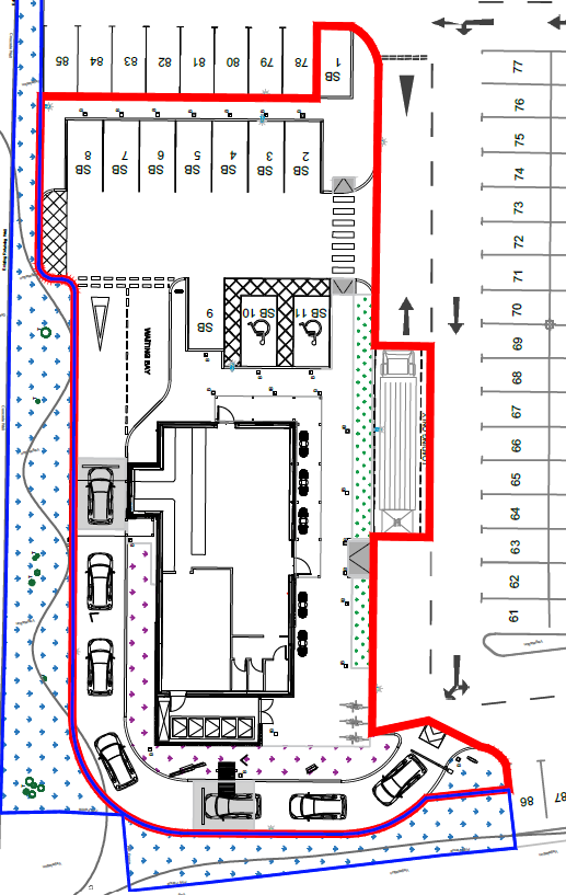
The subject property is situated on Foundry Road, just off Neath Road (A4067), one of the main arterial routes into Swansea. Occupying a prominent position sitting just north of the A4067. The development opportunity comprises a prominent parcel of land fronting Neath Road. The site is currently used as car parking for the adjoining Matalan retail warehouse, and has strong national operators in McDonalds and ASDA nearby.
The site has the benefit of planning permission for an 1,800 sq ft drive thru unit with 19 car parking spaces. There is an agreement for lease with The Magic Bean Co. Limited T/A Starbucks for the drive thru unit.
- Service charge
- Ask agent
- Business rates
- Ask agent
- Use class
- Ask agent
- Listed building
- No
- Business for sale
- No
- Tenure
- Leasehold
- Length of lease
- 999 years left
An Energy Performance certificate helps you understand the current energy efficiency of a property.
Read more about EPC requirementsAsk agent
- BREEAM rating
- Ask agent
- Environmental description
- Ask agent
Brochure
Foundry Road, Swansea, SA6 8DU
About
Established in 1999, Emanuel Jones is an independent firm of Commercial Chartered Surveyors specialised in providing a range of Commercial property advice to businesses, investors and developers. The core area of activity is Wales and the South West of England although we specialise in acquisitions and investment disposal throughout the UK.
We are based in Cardiff and our ethos is to provide a proactive, transparent and client focused approach to all instructions. We pride ourselves in creating long lasting client relationships based on a foundation of trust, dedication and effective strategy delivery.
Below is our list of services where we have extensive experience in delivering for all types of clients.
Retail & Leisure Agency
We provide expert advice on out of town, high street, shopping centre and drive thru retail/leisure properties, for both landlords and tenants. Our team has a vast understanding of the local retail/leisure market and provide proactive marketing in terms of disposals and lettings. We also advise on property acquisitions for businesses.
Office Agency
Our expertise encompasses both the disposal and acquisition of office premises, covering the full spectrum of office accommodation. We have a proven track record of successfully meeting our clients' objectives through an evidence-based approach.
Industrial Agency
We provide a comprehensive agency service for industrial property, this can range from stand alone industrial/warehouse units, to multi let industrial estates and all the way up to large scale industrial/manufacturing complexes.
Lease Advisory
We provide expert advice tailored around an individual clients needs regarding complex landlord and tenant matters. Our lease consultancy service including rent reviews, lease renewals, lease assignments and sublettings.
Investment & Development
We offer investment and development consultancy to institutions, property companies, developers and individuals. Our combination of local market knowledge and direct agency puts us in a strong position to advise effectively.
Your search history
You have no recent searches
Disclaimer - Property reference FoundryRoadDevelopment. The information displayed about this property comprises a property advertisement. Rightmove.co.uk makes no warranty as to the accuracy or completeness of the advertisement or any linked or associated information, and Rightmove has no control over the content. This property advertisement does not constitute property particulars. The information is provided and maintained by Emanuel Jones LLP, Cardiff. Please contact the selling agent or developer directly to obtain any information which may be available under the terms of The Energy Performance of Buildings (Certificates and Inspections) (England and Wales) Regulations 2007 or the Home Report if in relation to a residential property in Scotland.




